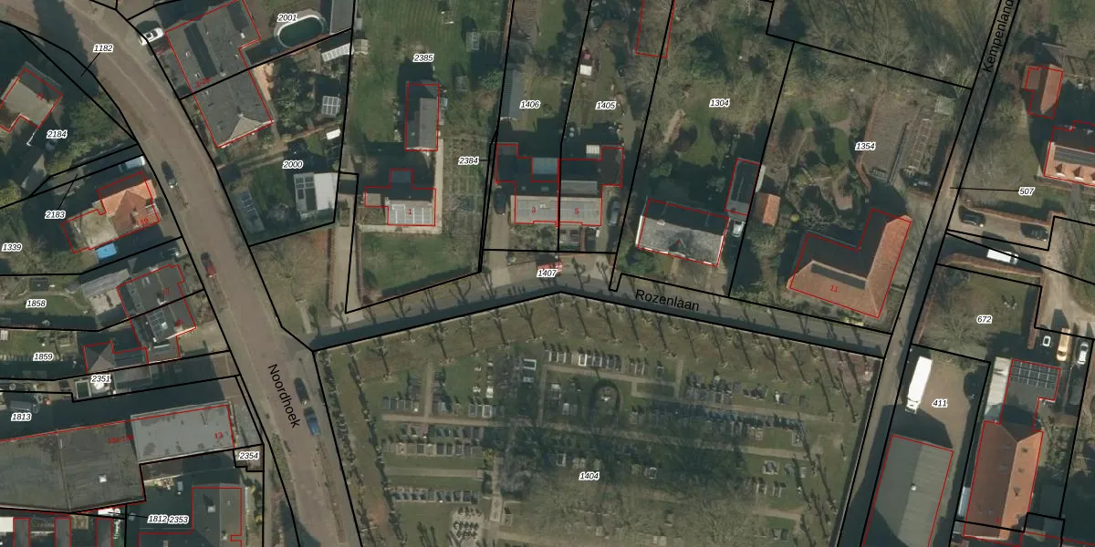
Perceel: SCH03-E-1407
KadastraleKaart.com kan meer dan je denktOntdek meer ›
Filter op bestemming 50+ datasets Eigendomsdata in één klik Percelen CRM
Geen adressen bij dit perceel
945 m2 - 306 m
Eigenaar opvragen
SCH03-E-1407 (Schaijk)
- Geen postcode aanwezig
shyqgegszh7GGkYKCEpbrK 0wYs qUpgrade naar KadastraleKaart Pro
Bekijk op Street View
Download DWG/DXF/Excel
PmFD6h Om91U AUKzO2aLmDUpgrade naar KadastraleKaart Pro
8pu To U Upgrade naar KadastraleKaart Pro
xJ 7YfgQUpgrade naar KadastraleKaart Pro
geOSYHt dCA75zEPerZiXUpgrade naar KadastraleKaart Pro
ZTlqLgodu6xZaR9MCdJUpgrade naar KadastraleKaart Pro
RMoB4m 1eg hWwGbUpgrade naar KadastraleKaart Pro
TJrtTTYypqXG fGKhRUpgrade naar KadastraleKaart Pro
edGiOT T7Upgrade naar KadastraleKaart Pro
Zg mEUyuEd Upgrade naar KadastraleKaart Pro
M8DSbR6 F7 iGTLUpgrade naar KadastraleKaart Pro
21/10/2024

Percelen
Gebruik de zoekbalk of klik op een perceel om informatie over het perceel te bekijken.