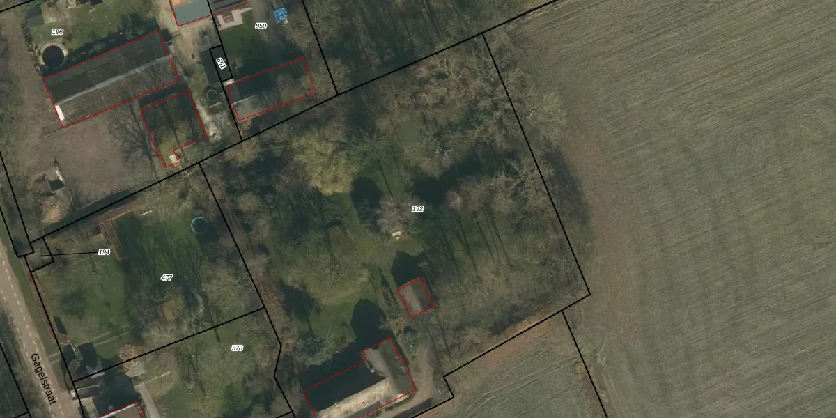
Perceel: SCH03-H-192
KadastraleKaart.com kan meer dan je denktOntdek meer ›
Filter op bestemming 50+ datasets Eigendomsdata in één klik Percelen CRM
5.460 m2 - 304 m
Eigenaar opvragen
SCH03-H-192 (Schaijk)
- 5374 NP
m6B5Ul ywFBSRJgeUpgrade naar KadastraleKaart Pro
Bekijk op Street View
Download DWG/DXF/Excel
l1METJHqD6H2OTEZdRi0nF Upgrade naar KadastraleKaart Pro
pQ0fgDiUpgrade naar KadastraleKaart Pro
NJSHxlEzZL0ZquDUpgrade naar KadastraleKaart Pro
eLWLPvIdZkUpgrade naar KadastraleKaart Pro
IvYf ahfJB bVo D8yGcOP Upgrade naar KadastraleKaart Pro
pMyKODjoyDq27F n5mHxjUpgrade naar KadastraleKaart Pro
P3EQ8y lUhml1GdLUpgrade naar KadastraleKaart Pro
9uHHP5 bPFURmUpgrade naar KadastraleKaart Pro
2cPJuk7T DR8LCp6 Upgrade naar KadastraleKaart Pro
sEaN1iYiNRe B pC9Wuf24Upgrade naar KadastraleKaart Pro
30/08/2005

Percelen
Gebruik de zoekbalk of klik op een perceel om informatie over het perceel te bekijken.