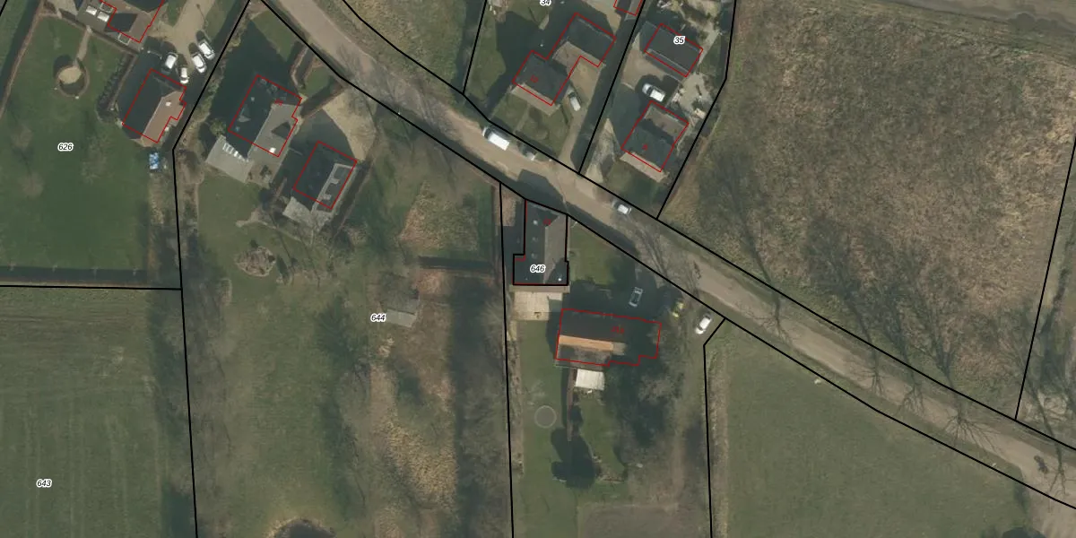
Perceel: SCH03-L-646
KadastraleKaart.com kan meer dan je denktOntdek meer ›
Filter op bestemming 50+ datasets Eigendomsdata in één klik Percelen CRM
126 m2 - 50 m
Eigenaar opvragen
SCH03-L-646 (Schaijk)
- 5375 KG
OeMcOx44dqTvXjGYENuP 0L1bUpgrade naar KadastraleKaart Pro
Bekijk op Street View
Download DWG/DXF/Excel
m68wk78O7iHGLo3uUpgrade naar KadastraleKaart Pro
vo 4KXXl3semzNUpgrade naar KadastraleKaart Pro
vAzSlInG5sTUpgrade naar KadastraleKaart Pro
zJLHsnpedmAYMUpgrade naar KadastraleKaart Pro
aKxkPTZ00c7wSLDy7 umUpgrade naar KadastraleKaart Pro
T E dMCyRwYkUpgrade naar KadastraleKaart Pro
1fR Z VqPP 8ijxUpgrade naar KadastraleKaart Pro
3p 9Skrj tHruQ9cJ5IuUpgrade naar KadastraleKaart Pro
6SWlkrVCLSckM VUpgrade naar KadastraleKaart Pro
hdJdySLQor iUpgrade naar KadastraleKaart Pro
01/09/2005

Percelen
Gebruik de zoekbalk of klik op een perceel om informatie over het perceel te bekijken.