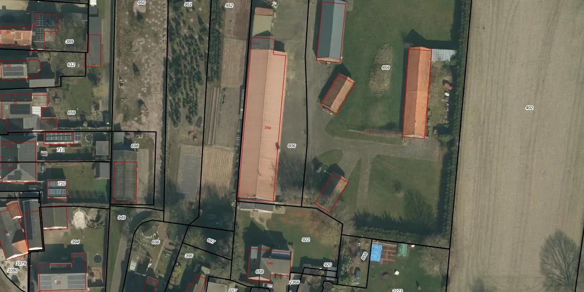
Perceel: SCH03-L-806
KadastraleKaart.com kan meer dan je denktOntdek meer ›
Filter op bestemming 50+ datasets Eigendomsdata in één klik Percelen CRM
1.530 m2 - 187 m
Eigenaar opvragen
SCH03-L-806 (Schaijk)
- 5375 AS
Ljy MJbj5uu Pep7zUNTbpN3Upgrade naar KadastraleKaart Pro
Bekijk op Street View
Download DWG/DXF/Excel
KX50NeH4kWUpgrade naar KadastraleKaart Pro
rOKr OZ719byBdUpgrade naar KadastraleKaart Pro
3E INkIIUpgrade naar KadastraleKaart Pro
Y6WjwHwLjdd9Ph6jUpgrade naar KadastraleKaart Pro
8E WOoolUpgrade naar KadastraleKaart Pro
cVSFds2BlUpgrade naar KadastraleKaart Pro
NhGwnWRCY4W F F ZQ vUpgrade naar KadastraleKaart Pro
K e BXu5Eh4Upgrade naar KadastraleKaart Pro
D7 C5 KV4X1Upgrade naar KadastraleKaart Pro
jCQCUEQaKTIheh16Upgrade naar KadastraleKaart Pro
25/06/2015

Percelen
Gebruik de zoekbalk of klik op een perceel om informatie over het perceel te bekijken.