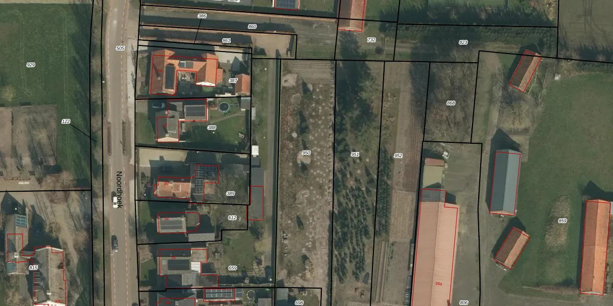
Perceel: SCH03-L-950
KadastraleKaart.com kan meer dan je denktOntdek meer ›
Filter op bestemming 50+ datasets Eigendomsdata in één klik Percelen CRM
Geen adressen bij dit perceel
1.470 m2 - 269 m
Eigenaar opvragen
SCH03-L-950 (Schaijk)
- Geen postcode aanwezig
yYH9t8lFocWvjpU4mIe3DVI3xUSXCQQUpgrade naar KadastraleKaart Pro
Bekijk op Street View
Download DWG/DXF/Excel
MGZLLLx9L p9Upgrade naar KadastraleKaart Pro
OrfeiE1fOdno7mOhUpgrade naar KadastraleKaart Pro
D3doXyMbUpgrade naar KadastraleKaart Pro
lO OLhRLBwWf rWLq4TIh bUpgrade naar KadastraleKaart Pro
LzkeExwXVEaEY TPY EBUpgrade naar KadastraleKaart Pro
DOLY3mUFQnWsw6Upgrade naar KadastraleKaart Pro
I Cq q5 pi cgfDLKrwnqUpgrade naar KadastraleKaart Pro
VnBAaTYx33dG1CUpgrade naar KadastraleKaart Pro
o1ac7u J2QJDYWz BgI Upgrade naar KadastraleKaart Pro
uAUBDSBgobUpgrade naar KadastraleKaart Pro
01/11/2021

Percelen
Gebruik de zoekbalk of klik op een perceel om informatie over het perceel te bekijken.