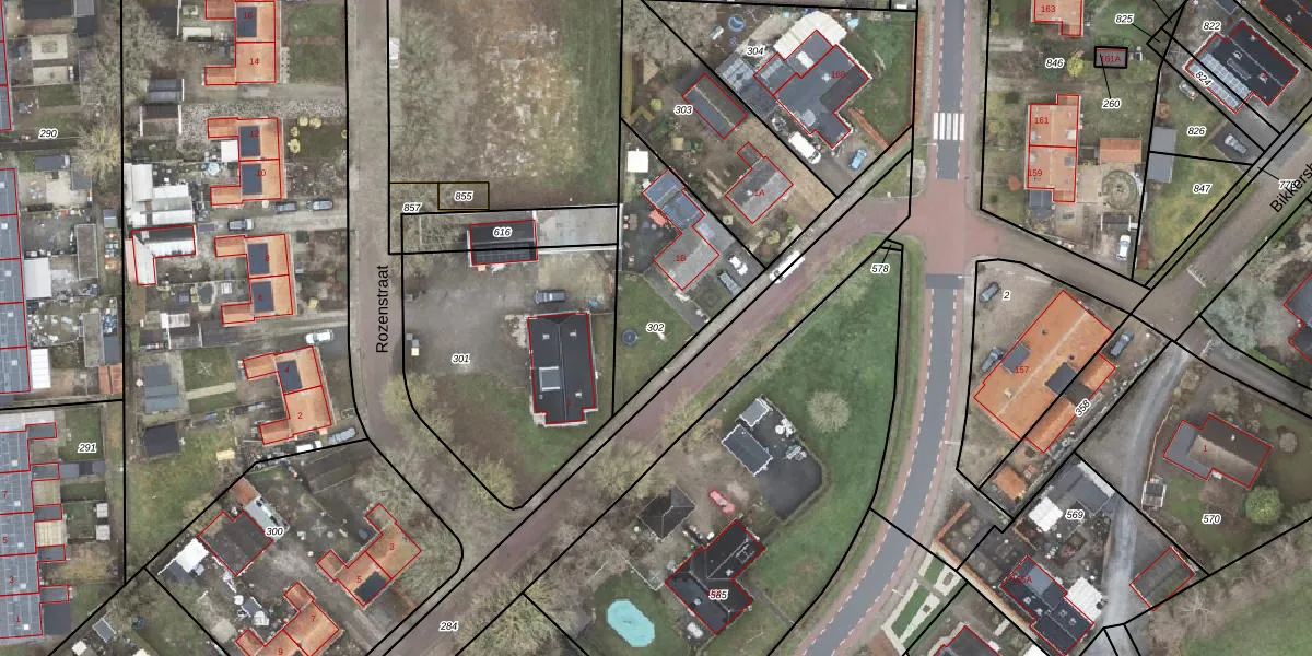
Perceel: SDA00-K-302
KadastraleKaart.com kan meer dan je denktOntdek meer ›
Filter op bestemming 50+ datasets Eigendomsdata in één klik Percelen CRM
515 m2 - 110 m
Eigenaar opvragen
SDA00-K-302 (Scheemda)
- 9678 RW
uKgW09cxc4K30Y pr VvAW3 Zo8pZUpgrade naar KadastraleKaart Pro
Verkoopprijs opvragen
Bekijk op Street View
Download DWG/DXF/Excel
VWg03HWnUpgrade naar KadastraleKaart Pro
Ta1e6D9bUpgrade naar KadastraleKaart Pro
p7DODtO6Upgrade naar KadastraleKaart Pro
NGj8X7r SUi7PjD 6EUpgrade naar KadastraleKaart Pro
rKI91sgk 5vDRQ xQHDUpgrade naar KadastraleKaart Pro
tFD31ooJthj MmXmusUpgrade naar KadastraleKaart Pro
hQlV1pEBUpgrade naar KadastraleKaart Pro
qH6GBCMQyUQEsSTi0Rd8keUpgrade naar KadastraleKaart Pro
exPL9QU OKle5Upgrade naar KadastraleKaart Pro
AHZLQW 7TlIswNGUpgrade naar KadastraleKaart Pro
07/12/1999

Percelen
Gebruik de zoekbalk of klik op een perceel om informatie over het perceel te bekijken.