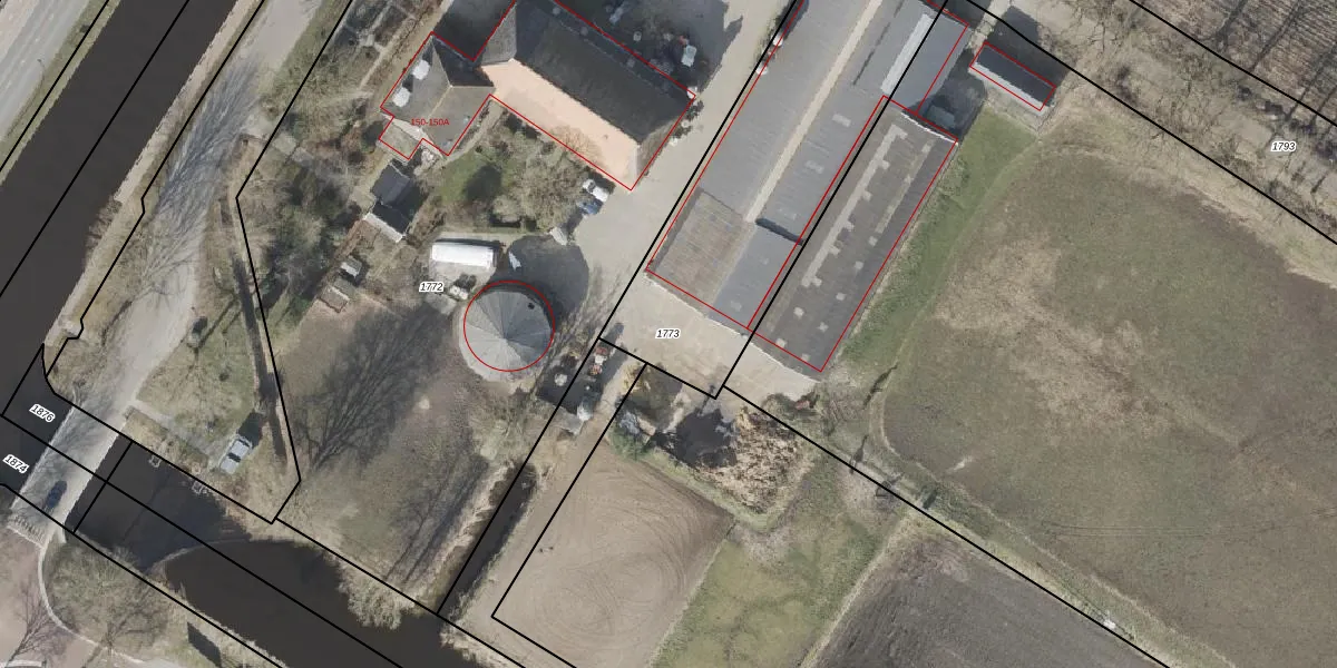
Perceel: SDE01-B-1773
KadastraleKaart.com kan meer dan je denktOntdek meer ›
Filter op bestemming 50+ datasets Eigendomsdata in één klik Percelen CRM
Geen adressen bij dit perceel
1.400 m2 - 182 m
Eigenaar opvragen
SDE01-B-1773 (Smilde)
- Geen postcode aanwezig
erx4k23sjI j6eqhxdOQUpgrade naar KadastraleKaart Pro
Bekijk op Street View
Download DWG/DXF/Excel
EJ6Eo E98wAEqQTv Upgrade naar KadastraleKaart Pro
xYlxW9UlH8fUpgrade naar KadastraleKaart Pro
j r ltYsBXV3mvS43Upgrade naar KadastraleKaart Pro
gK3 jJNfkUpgrade naar KadastraleKaart Pro
X9N7eCMRaJne u 9Upgrade naar KadastraleKaart Pro
U6Ixdpp MqoUpgrade naar KadastraleKaart Pro
ZdkZcdnARj8Upgrade naar KadastraleKaart Pro
yMAOaKO4lgJgi 8Upgrade naar KadastraleKaart Pro
q3avzmfXFlqYV42hrhk L1Upgrade naar KadastraleKaart Pro
yyRcc5cpe9 8nZ4fUpgrade naar KadastraleKaart Pro
25/11/2002

Percelen
Gebruik de zoekbalk of klik op een perceel om informatie over het perceel te bekijken.