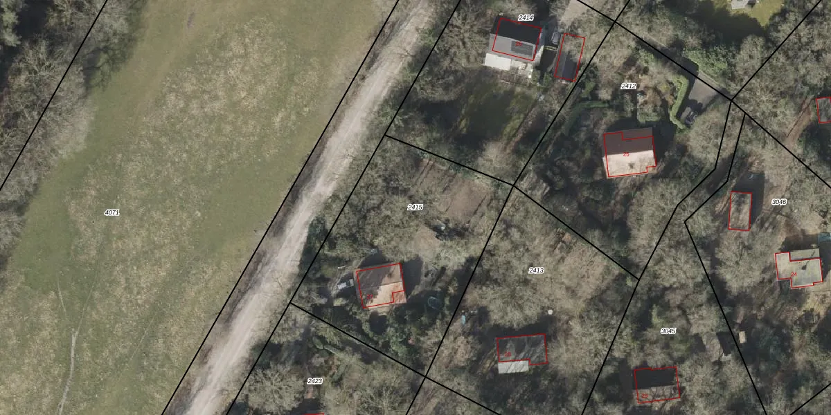
Perceel: SDE01-C-2415
KadastraleKaart.com kan meer dan je denktOntdek meer ›
Filter op bestemming 50+ datasets Eigendomsdata in één klik Percelen CRM
1.714 m2 - 168 m
Eigenaar opvragen
SDE01-C-2415 (Smilde)
- 9423 TE
cMEbli bv 3jSE9qWUpgrade naar KadastraleKaart Pro
Verkoopprijs opvragen
Bekijk op Street View
Download DWG/DXF/Excel
g1b62XQ0yaWaqTNZnxNG5Upgrade naar KadastraleKaart Pro
r91gXJ4xDX4QXIBs2 ktTMUpgrade naar KadastraleKaart Pro
N AcNNg7LQZod8hc4sU uUpgrade naar KadastraleKaart Pro
CRmH J34Upgrade naar KadastraleKaart Pro
P75W M8tzto2SkWE BCFiGUpgrade naar KadastraleKaart Pro
8WJva 8IxTZZ7qUpgrade naar KadastraleKaart Pro
aXp7JVIshuNa cSd4KXEUpgrade naar KadastraleKaart Pro
IcqlJ3UxxQAUpgrade naar KadastraleKaart Pro
FLF Q9NiLG PIIY6jrr4gaUpgrade naar KadastraleKaart Pro
9BFo5AOgGf5hK tBUpgrade naar KadastraleKaart Pro
14/12/2005

Percelen
Gebruik de zoekbalk of klik op een perceel om informatie over het perceel te bekijken.