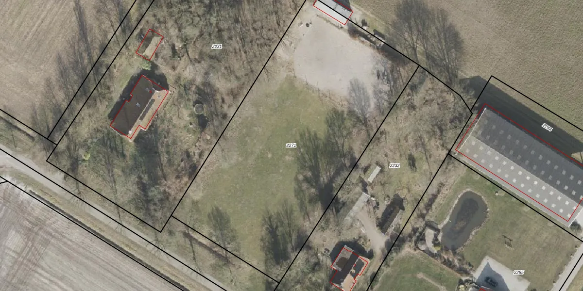
Perceel: SDE01-H-2271
KadastraleKaart.com kan meer dan je denktOntdek meer ›
Filter op bestemming 50+ datasets Eigendomsdata in één klik Percelen CRM
Geen adressen bij dit perceel
3.960 m2 - 267 m
Eigenaar opvragen
SDE01-H-2271 (Smilde)
- Geen postcode aanwezig
5KoKld ie6O 3kqKg wWYIjxV943AkUpgrade naar KadastraleKaart Pro
Bekijk op Street View
Download DWG/DXF/Excel
Xh wD nBgAe B Y RlRWF Upgrade naar KadastraleKaart Pro
d vRXEzs1VUpgrade naar KadastraleKaart Pro
SUGoGmPQ Upgrade naar KadastraleKaart Pro
1rWGprhE3BaVt9CHWb3HjUpgrade naar KadastraleKaart Pro
gGR0jKAkYP5Zb8KbrJUpgrade naar KadastraleKaart Pro
KAlmPwIsewgUpgrade naar KadastraleKaart Pro
RdAs2EymNMSmi6vUpgrade naar KadastraleKaart Pro
zyfFm tXJr C1uejI NEUpgrade naar KadastraleKaart Pro
nXKOuYp3da LYt5Upgrade naar KadastraleKaart Pro
ICOsaYa17PSTO SpDfUpgrade naar KadastraleKaart Pro
27/11/2002

Percelen
Gebruik de zoekbalk of klik op een perceel om informatie over het perceel te bekijken.