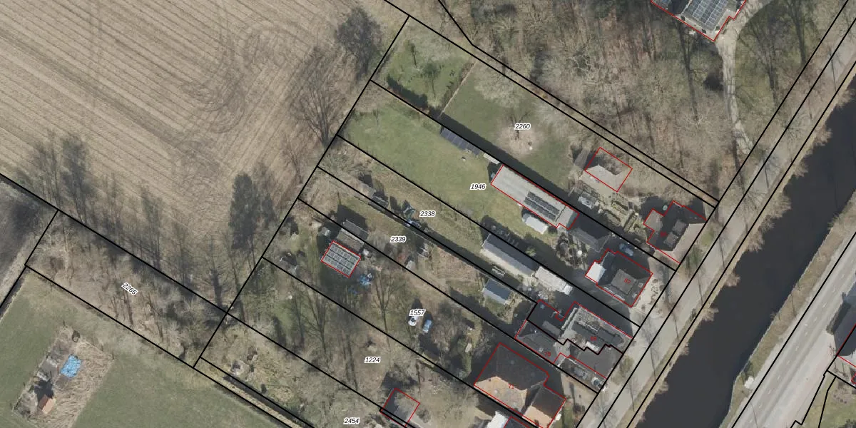
Perceel: SDE01-H-2338
KadastraleKaart.com kan meer dan je denktOntdek meer ›
Filter op bestemming 50+ datasets Eigendomsdata in één klik Percelen CRM
725 m2 - 195 m
Eigenaar opvragen
SDE01-H-2338 (Smilde)
- 9422 BM
8QtQPWDCQW4 5ZYhyt4Bjqx4NUpgrade naar KadastraleKaart Pro
Verkoopprijs opvragen
Bekijk op Street View
Download DWG/DXF/Excel
ILmnV0I2dUpgrade naar KadastraleKaart Pro
tLO5ERSiD3KH cVJqLmkUpgrade naar KadastraleKaart Pro
XkQB7ENrpKrOJwnUpgrade naar KadastraleKaart Pro
99Sq16RJVHxUpgrade naar KadastraleKaart Pro
YAIeLvNuev8NeUykk3CcAUpgrade naar KadastraleKaart Pro
qGIg 4vP Upgrade naar KadastraleKaart Pro
5pPqJNkQx563Pw Upgrade naar KadastraleKaart Pro
d7953 ilb2W2DJuUpgrade naar KadastraleKaart Pro
BtcTIx6O9SL 9ZbIUpgrade naar KadastraleKaart Pro
zhWm2VQWyjUpgrade naar KadastraleKaart Pro
27/11/2002

Percelen
Gebruik de zoekbalk of klik op een perceel om informatie over het perceel te bekijken.