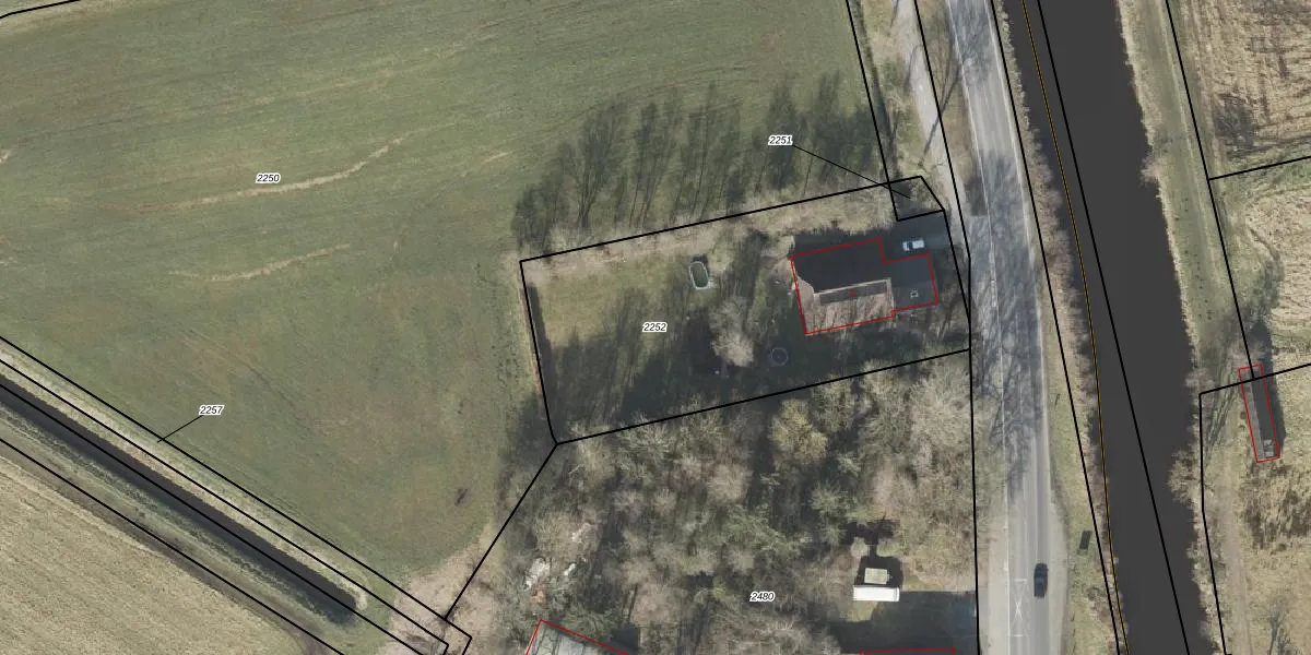
Perceel: SDE01-K-2252
KadastraleKaart.com kan meer dan je denktOntdek meer ›
Filter op bestemming 50+ datasets Eigendomsdata in één klik Percelen CRM
1.785 m2 - 186 m
Eigenaar opvragen
SDE01-K-2252 (Smilde)
- 9421 TD
Ow5dTSvWXLl6vzPalNUdo0wU osC2DGUpgrade naar KadastraleKaart Pro
Verkoopprijs opvragen
Bekijk op Street View
Download DWG/DXF/Excel
jC aVvCQAAFKsCF Upgrade naar KadastraleKaart Pro
qp0wnJAZUpgrade naar KadastraleKaart Pro
Mxbjn1oxwU1 h4gvbWj4 Upgrade naar KadastraleKaart Pro
qsyuE8rOhUB6GEwlmVVUUpgrade naar KadastraleKaart Pro
UsCj u9TxpwM chWUpgrade naar KadastraleKaart Pro
bP7xsvhr3FUpgrade naar KadastraleKaart Pro
764VSE91vKNR3RpUpgrade naar KadastraleKaart Pro
l 6ipBjagdXIJUpgrade naar KadastraleKaart Pro
xmAnEW Q3TyaiUpgrade naar KadastraleKaart Pro
DOSesB s HgxprFgeg7Q Upgrade naar KadastraleKaart Pro
26/11/2002

Percelen
Gebruik de zoekbalk of klik op een perceel om informatie over het perceel te bekijken.