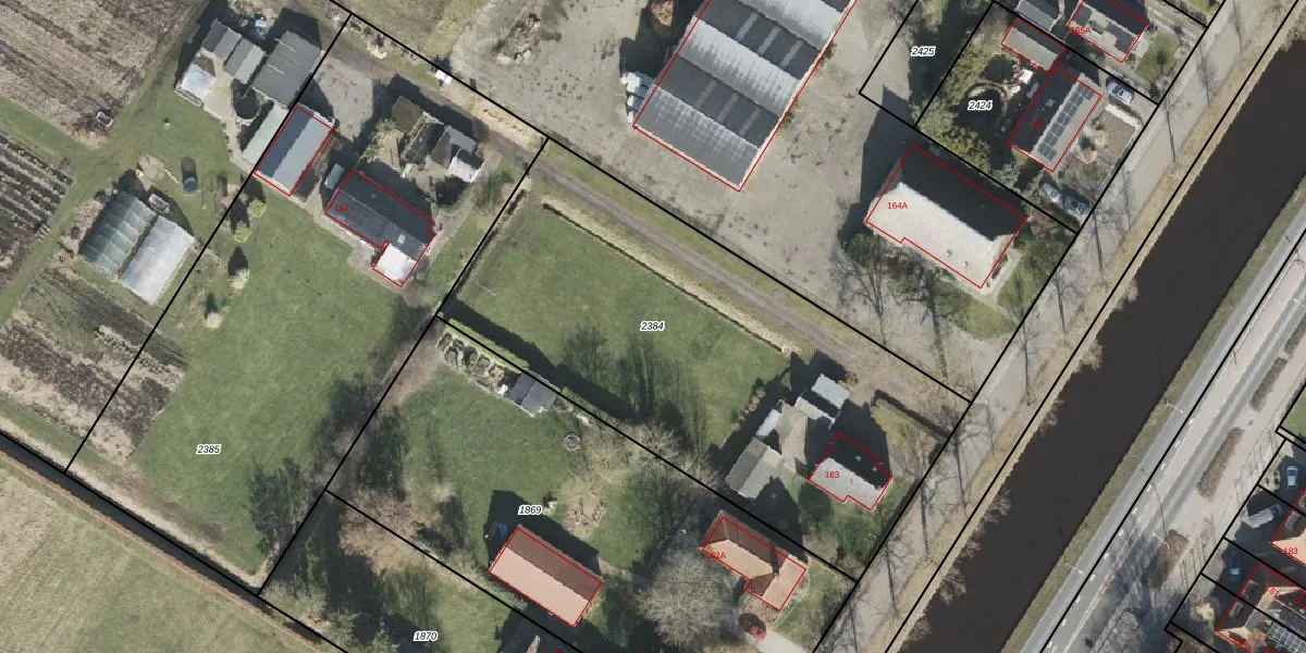
Perceel: SDE01-K-2384
KadastraleKaart.com kan meer dan je denktOntdek meer ›
Filter op bestemming 50+ datasets Eigendomsdata in één klik Percelen CRM
2.480 m2 - 218 m
Eigenaar opvragen
SDE01-K-2384 (Smilde)
- 9421 SZ
mru6v a LLOJEh6pibK8 RxnXUpgrade naar KadastraleKaart Pro
Bekijk op Street View
Download DWG/DXF/Excel
KlEHxSQLRnPLKzjgUpgrade naar KadastraleKaart Pro
3QC9gCh Riit5JN4T6SUpgrade naar KadastraleKaart Pro
F 7n6B47m OkLUpgrade naar KadastraleKaart Pro
zOnJGPphlxL7Upgrade naar KadastraleKaart Pro
yw fF ks kn62Sd FI AfUpgrade naar KadastraleKaart Pro
4F bZmPPjfG7L ZDM 99Upgrade naar KadastraleKaart Pro
G1XfNVCAVs6mnP7 2Upgrade naar KadastraleKaart Pro
X bDbLq zi3VMKSiiUpgrade naar KadastraleKaart Pro
qiG8dkxkrIh4rUpgrade naar KadastraleKaart Pro
Lg7J550JIUpgrade naar KadastraleKaart Pro
28/07/2011

Percelen
Gebruik de zoekbalk of klik op een perceel om informatie over het perceel te bekijken.