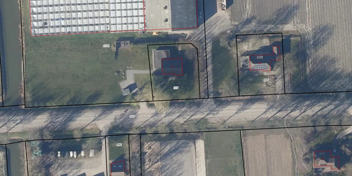
Perceel: SDE02-A-715
875 m2 - 116 m
Eigenaar opvragen
SDE02-A-715 (Stede Broec)
- 1611 BT
clJzJuOVdEXUDWU9VU HxU rUpgrade naar KadastraleKaart Pro
Verkoopprijs opvragen
Bekijk op Street View
Download DWG/DXF/Excel
tSp9L7pvFJ4X7J6VlG9 0 Upgrade naar KadastraleKaart Pro
92ZZR2m XOf w Upgrade naar KadastraleKaart Pro
tUhE aB6 t1 nUpgrade naar KadastraleKaart Pro
cnxGipIo2frI4TstGCkuUpgrade naar KadastraleKaart Pro
S bw5PND2J0treOUpgrade naar KadastraleKaart Pro
ypjMJbERuhWNL9EtxX6HUpgrade naar KadastraleKaart Pro
bIV1dJoINA8J5zUpgrade naar KadastraleKaart Pro
ZFL2BXM8xWo4n3Upgrade naar KadastraleKaart Pro
EdHjFpOl1FUpgrade naar KadastraleKaart Pro
Qg7LfWoYRI hU5YGC BUpgrade naar KadastraleKaart Pro
07/08/2006

Percelen
Gebruik de zoekbalk of klik op een perceel om informatie over het perceel te bekijken.