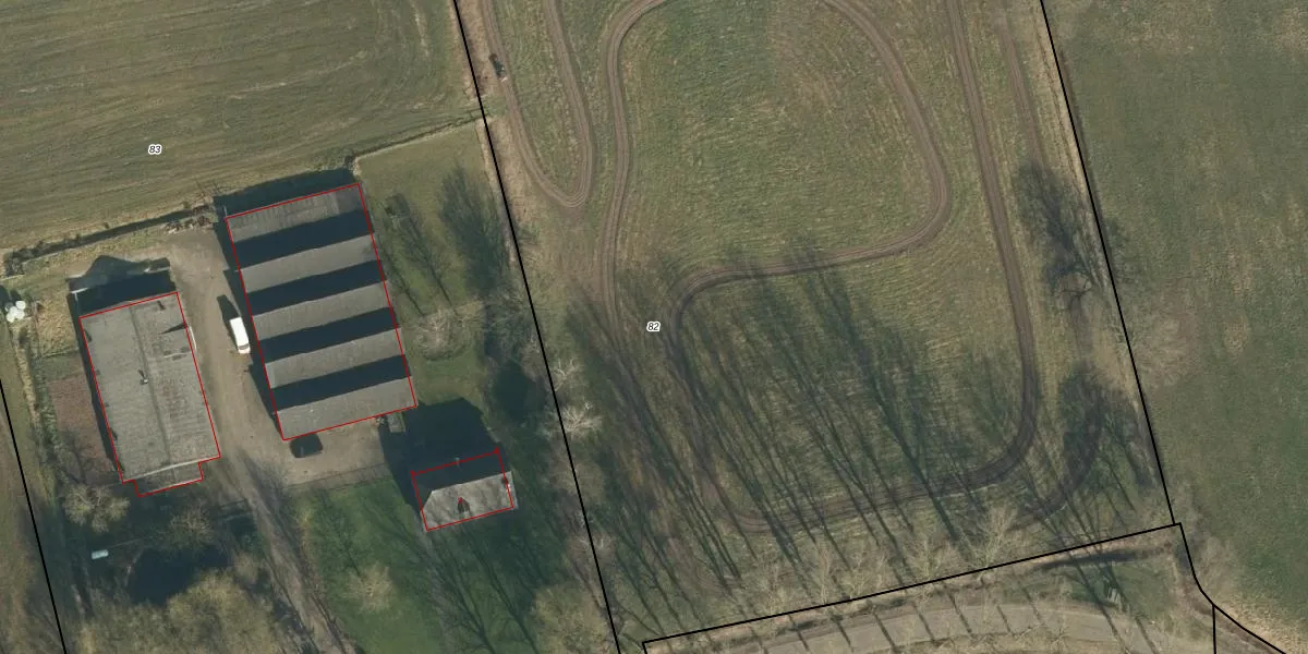
Perceel: SDL00-K-82
KadastraleKaart.com kan meer dan je denktOntdek meer ›
Filter op bestemming 50+ datasets Eigendomsdata in één klik Percelen CRM
Geen adressen bij dit perceel
10.315 m2 - 416 m
Eigenaar opvragen
SDL00-K-82 (Schijndel)
- Geen postcode aanwezig
YEgBMU09dtUGy9C hAI5Upgrade naar KadastraleKaart Pro
Bekijk op Street View
Download DWG/DXF/Excel
xfDt2 YHcZgxxUO4FcyOUpgrade naar KadastraleKaart Pro
D 1uk8M8HAdH3nOUpgrade naar KadastraleKaart Pro
wErICO08qUpgrade naar KadastraleKaart Pro
FODBVPdPzOHDXZVUpgrade naar KadastraleKaart Pro
ZBxV5LoUpgrade naar KadastraleKaart Pro
pnkMNUP I gh UUpgrade naar KadastraleKaart Pro
Ht tbd PlYggDUpgrade naar KadastraleKaart Pro
8CgTvAN61SGJy9gJUpgrade naar KadastraleKaart Pro
g5 1M AO Slrn7joMUpgrade naar KadastraleKaart Pro
NQ2C AXV5xLCE 30kj2JZOUpgrade naar KadastraleKaart Pro
06/02/2007

Percelen
Gebruik de zoekbalk of klik op een perceel om informatie over het perceel te bekijken.