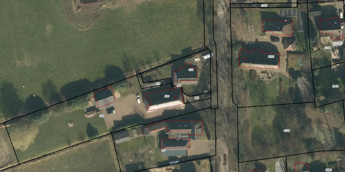
Perceel: SDL00-L-500
KadastraleKaart.com kan meer dan je denktOntdek meer ›
Filter op bestemming 50+ datasets Eigendomsdata in één klik Percelen CRM
Geen adressen bij dit perceel
1 m2 - 7 m
Eigenaar opvragen
SDL00-L-500 (Schijndel)
- Geen postcode aanwezig
5u UyfwFqRy430JPSUpgrade naar KadastraleKaart Pro
Bekijk op Street View
Download DWG/DXF/Excel
ZqG3puGJ mzR dwq aHzFUpgrade naar KadastraleKaart Pro
0ATKHf9olD7 kykQPX5tM jUpgrade naar KadastraleKaart Pro
keT2xLnK2XyJ qUpgrade naar KadastraleKaart Pro
bgr6QQ62OxIpoN9Upgrade naar KadastraleKaart Pro
F5QdLRTRq e9ehrUpgrade naar KadastraleKaart Pro
N U iAc7XnaGR e h Upgrade naar KadastraleKaart Pro
sTKuO93KRvLOPqrX2GyOrUpgrade naar KadastraleKaart Pro
KSSQ3MlLIUHYAVdG5sHip 7Upgrade naar KadastraleKaart Pro
2kHcEGmbkjB0yM9KcV d tUpgrade naar KadastraleKaart Pro
punpE1DN62aUpgrade naar KadastraleKaart Pro
21/05/2019

Percelen
Gebruik de zoekbalk of klik op een perceel om informatie over het perceel te bekijken.