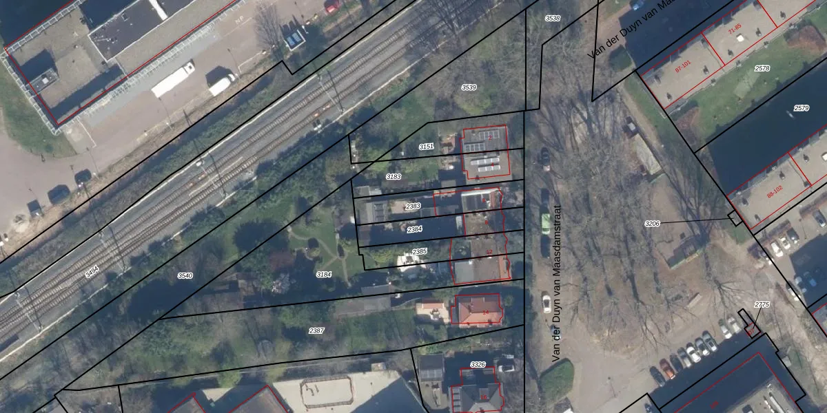
Perceel: SDM01-P-2383
KadastraleKaart.com kan meer dan je denktOntdek meer ›
Filter op bestemming 50+ datasets Eigendomsdata in één klik Percelen CRM
271 m2 - 96 m
Eigenaar opvragen
SDM01-P-2383 (Schiedam)
- 3118 LD
ox tPhs 45z4f qBfIJ GoxRvBhUpgrade naar KadastraleKaart Pro
Verkoopprijs opvragen
Bekijk op Street View
Download DWG/DXF/Excel
s3naL srNWQ 9m62z 5WUpgrade naar KadastraleKaart Pro
pmu7qXN5 NpAnI6AmZ E6UUpgrade naar KadastraleKaart Pro
CAr 9QWELvg2twU Upgrade naar KadastraleKaart Pro
Ol2vL2YxuyHVvx5taUpgrade naar KadastraleKaart Pro
ZW ygGZvM3 L42cXV Upgrade naar KadastraleKaart Pro
M6dPhuTqEUpgrade naar KadastraleKaart Pro
zi iibqR LUpgrade naar KadastraleKaart Pro
HxTEtTMdBhxxcbb2QsQi0oUpgrade naar KadastraleKaart Pro
cZpb b8 QYaAU f o7vCKMYUpgrade naar KadastraleKaart Pro
8 WGldNyQTDyVWoqk8Upgrade naar KadastraleKaart Pro
05/12/2002

Percelen
Gebruik de zoekbalk of klik op een perceel om informatie over het perceel te bekijken.