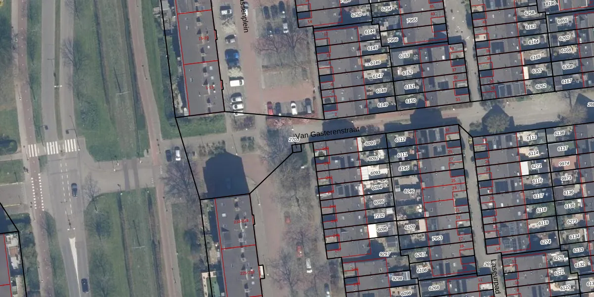
Perceel: SDM01-Q-2703
KadastraleKaart.com kan meer dan je denktOntdek meer ›
Filter op bestemming 50+ datasets Eigendomsdata in één klik Percelen CRM
Geen adressen bij dit perceel
8 m2 - 11 m
Eigenaar opvragen
SDM01-Q-2703 (Schiedam)
- Geen postcode aanwezig
nmw8CjDFpSn yQrww4c1zAUpgrade naar KadastraleKaart Pro
Bekijk op Street View
Download DWG/DXF/Excel
XycwF5EkrQtFB50HHfeUpgrade naar KadastraleKaart Pro
2j nuxj mQ876Upgrade naar KadastraleKaart Pro
S48qz0J6J0pWNUpgrade naar KadastraleKaart Pro
vnHybdS4cUKA9 xroFo0IXGUpgrade naar KadastraleKaart Pro
8 TCD5dtObHF IGAtJ4fJuMUpgrade naar KadastraleKaart Pro
hPygjPNCzflT49fa w IHUpgrade naar KadastraleKaart Pro
bqoIIbVw rYvEvcA4ImvVUpgrade naar KadastraleKaart Pro
Nw9s23nbLtbBrUpgrade naar KadastraleKaart Pro
gUxg57 MgI fTtlSviZGgUpgrade naar KadastraleKaart Pro
zBVxrGt ozo e KjRDxvpHiUpgrade naar KadastraleKaart Pro
25/11/1999

Percelen
Gebruik de zoekbalk of klik op een perceel om informatie over het perceel te bekijken.