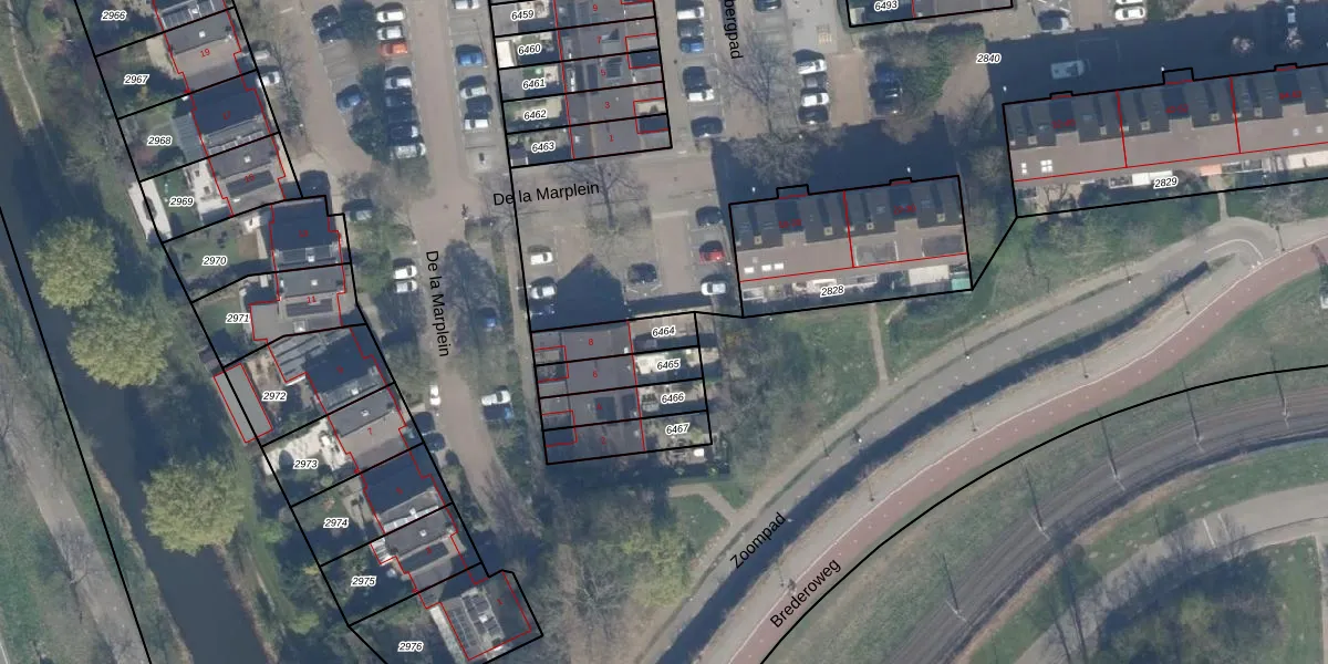
Perceel: SDM01-Q-6464
KadastraleKaart.com kan meer dan je denktOntdek meer ›
Filter op bestemming 50+ datasets Eigendomsdata in één klik Percelen CRM
127 m2 - 60 m
Eigenaar opvragen
SDM01-Q-6464 (Schiedam)
- 3123 AB
NFkGFOY p 83oLPvHGjdykLfpVVUpgrade naar KadastraleKaart Pro
Bekijk op Street View
Download DWG/DXF/Excel
1iomiyX5Upgrade naar KadastraleKaart Pro
uTgaX8 7IxAClQFjFNg ZRUpgrade naar KadastraleKaart Pro
T2vRD h8i9 GQJ lmO5n1gbUpgrade naar KadastraleKaart Pro
p B9DKqDUpgrade naar KadastraleKaart Pro
u2P2Ku99z8L8Upgrade naar KadastraleKaart Pro
tZMtlig uR0 GqUpgrade naar KadastraleKaart Pro
4rUoCp8j1oPUpgrade naar KadastraleKaart Pro
fl5keHzgbYMMYUpgrade naar KadastraleKaart Pro
GtXyTl Bu YUpgrade naar KadastraleKaart Pro
jhGEzwQ4 qUPEDwx2u0iLUpgrade naar KadastraleKaart Pro
22/05/2002

Percelen
Gebruik de zoekbalk of klik op een perceel om informatie over het perceel te bekijken.