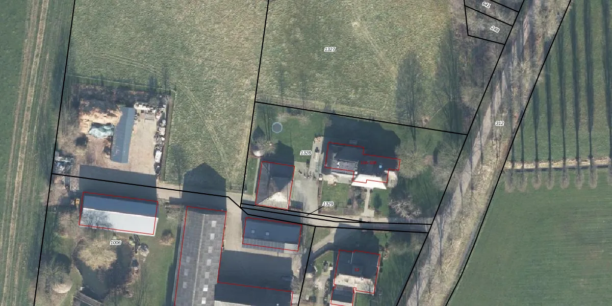
Perceel: SDR00-P-1328
KadastraleKaart.com kan meer dan je denktOntdek meer ›
Filter op bestemming 50+ datasets Eigendomsdata in één klik Percelen CRM
2.180 m2 - 198 m
Eigenaar opvragen
SDR00-P-1328 (Steenderen)
- 7223 LP
AgrpucMp R 5R4 y0BO 2XWtbs1CVJUpgrade naar KadastraleKaart Pro
Verkoopprijs opvragen
Bekijk op Street View
Download DWG/DXF/Excel
cHfW5AV CxKIYUpgrade naar KadastraleKaart Pro
xK 51K QwD5hPfhLE9wUpgrade naar KadastraleKaart Pro
i4bZMSXu hD Upgrade naar KadastraleKaart Pro
Z00UHmSE9hvxC00s5esUpgrade naar KadastraleKaart Pro
cI1 yNyBH wy Yvys80rUpgrade naar KadastraleKaart Pro
SDeYgf7EUpgrade naar KadastraleKaart Pro
Uee b C3f aoxUpgrade naar KadastraleKaart Pro
tt6Fs Y9xf3Upgrade naar KadastraleKaart Pro
y l6lBIGotslqUpgrade naar KadastraleKaart Pro
yfmeT6DfJsGNTcDGIWZUpgrade naar KadastraleKaart Pro
04/08/2017

Percelen
Gebruik de zoekbalk of klik op een perceel om informatie over het perceel te bekijken.