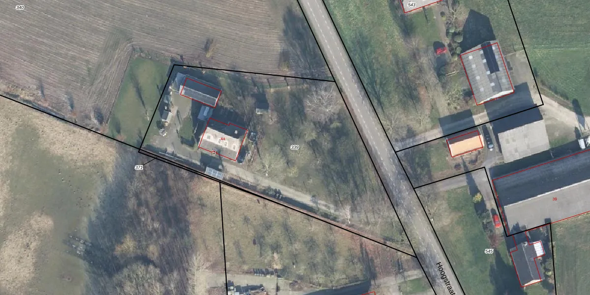
Perceel: SDR00-Q-339
KadastraleKaart.com kan meer dan je denktOntdek meer ›
Filter op bestemming 50+ datasets Eigendomsdata in één klik Percelen CRM
3.110 m2 - 253 m
Eigenaar opvragen
SDR00-Q-339 (Steenderen)
- 7227 NJ
gJ91OiXLSu8OCuiB1nKSNNwLUpgrade naar KadastraleKaart Pro
Verkoopprijs opvragen
Bekijk op Street View
Download DWG/DXF/Excel
wRSxf PSMkC5JSQGCwRw5Upgrade naar KadastraleKaart Pro
MwfH41wcck1tqWw7kwUpgrade naar KadastraleKaart Pro
Zx6ymdfFBv O1Zh94RfyUpgrade naar KadastraleKaart Pro
0Rz 6eF26MMLRvMi uxNHUpgrade naar KadastraleKaart Pro
LAJc XF6FP1q6hkDPj8Upgrade naar KadastraleKaart Pro
SXf6JCryCUpgrade naar KadastraleKaart Pro
a9B IttyRb29 MR4FScpz98Upgrade naar KadastraleKaart Pro
whXbjs YCLYjMXN3X7mZaUpgrade naar KadastraleKaart Pro
Q y xPjQAjouOmOTPnUpgrade naar KadastraleKaart Pro
3GQTPSaQ LWeNT Upgrade naar KadastraleKaart Pro
15/03/2012

Percelen
Gebruik de zoekbalk of klik op een perceel om informatie over het perceel te bekijken.