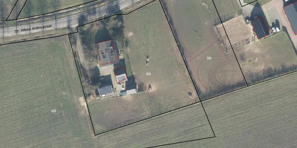
Perceel: SDR00-V-762
KadastraleKaart.com kan meer dan je denktOntdek meer ›
Filter op bestemming 50+ datasets Eigendomsdata in één klik Percelen CRM
5.085 m2 - 290 m
Eigenaar opvragen
SDR00-V-762 (Steenderen)
- 7221 CD
Ql88hh0wIbT9S6781pV1 BqrKBL0xUpgrade naar KadastraleKaart Pro
Verkoopprijs opvragen
Bekijk op Street View
Download DWG/DXF/Excel
ys gxG8g9e5GdosB4dYQL2EUpgrade naar KadastraleKaart Pro
553 7OCGVnxv0KNcCrUUpgrade naar KadastraleKaart Pro
lDgjfruiPu Lj PMsskSUpgrade naar KadastraleKaart Pro
Oj 3 qZN7QyfgFUpgrade naar KadastraleKaart Pro
jmm7ZMsyEA p2fY xUpgrade naar KadastraleKaart Pro
q FHipCANa 9IKUpgrade naar KadastraleKaart Pro
y4rBuUT8T7fh80Fl4CtwQUpgrade naar KadastraleKaart Pro
DpwWV5cc8EleUpgrade naar KadastraleKaart Pro
NrNbZSe ZYzuGWbUUpgrade naar KadastraleKaart Pro
Ifo6ChRiwthlHbUpgrade naar KadastraleKaart Pro
10/03/2015

Percelen
Gebruik de zoekbalk of klik op een perceel om informatie over het perceel te bekijken.