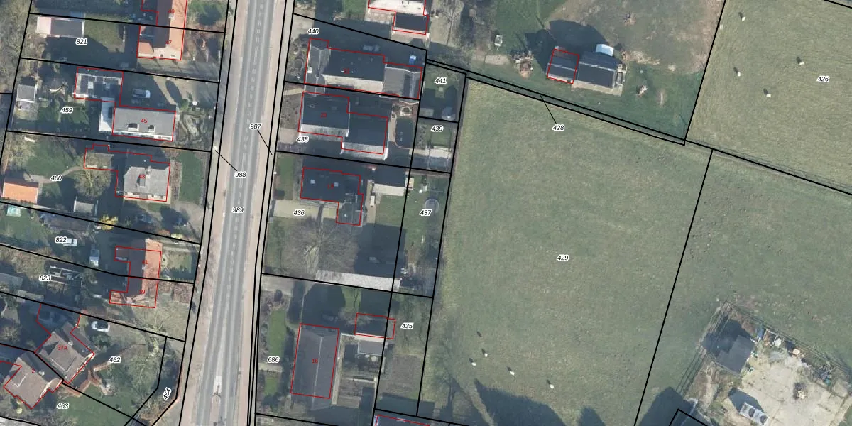
Perceel: SDR00-W-437
KadastraleKaart.com kan meer dan je denktOntdek meer ›
Filter op bestemming 50+ datasets Eigendomsdata in één klik Percelen CRM
Geen adressen bij dit perceel
291 m2 - 78 m
Eigenaar opvragen
SDR00-W-437 (Steenderen)
- Geen postcode aanwezig
8ScN AhYOAElkOVrcB1udsUpgrade naar KadastraleKaart Pro
Bekijk op Street View
Download DWG/DXF/Excel
MxjdZo EfsNaztMV uUpgrade naar KadastraleKaart Pro
bcZCJ0Uz7N0iUCUpgrade naar KadastraleKaart Pro
b xUpPj00JUpgrade naar KadastraleKaart Pro
98iXZ6JCFErMkUpgrade naar KadastraleKaart Pro
wIrmr8v0su2QUpgrade naar KadastraleKaart Pro
LiTtrgQDw8VUpgrade naar KadastraleKaart Pro
0G5b6glQbDF0yFHUpgrade naar KadastraleKaart Pro
g dZ3XyZoUpgrade naar KadastraleKaart Pro
t4yBSUEufhU Upgrade naar KadastraleKaart Pro
XsR6pzGttQyk9jvdRUpgrade naar KadastraleKaart Pro
31/07/2003

Percelen
Gebruik de zoekbalk of klik op een perceel om informatie over het perceel te bekijken.