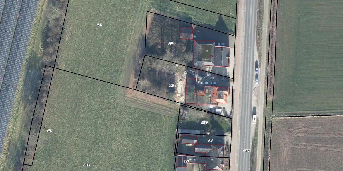
Perceel: SDR00-W-543
KadastraleKaart.com kan meer dan je denktOntdek meer ›
Filter op bestemming 50+ datasets Eigendomsdata in één klik Percelen CRM
1.228 m2 - 156 m
Eigenaar opvragen
SDR00-W-543 (Steenderen)
- 7223 DB
BDcjDMhAqPX1 x08OSb qsU90Bjp 45Upgrade naar KadastraleKaart Pro
Verkoopprijs opvragen
Bekijk op Street View
Download DWG/DXF/Excel
g 17LOL B UmUpgrade naar KadastraleKaart Pro
nZvJm sgkVxK7oAAyAtUpgrade naar KadastraleKaart Pro
c8fKQlh zG0GUpgrade naar KadastraleKaart Pro
bmHPCdhTFUpgrade naar KadastraleKaart Pro
eGIgUQ yiP25V0CzsajUpgrade naar KadastraleKaart Pro
rzTIKmjhQnhk jUpgrade naar KadastraleKaart Pro
ZWcQzNCl3J9r1Upgrade naar KadastraleKaart Pro
W0h9aHq8 i42SbrNSsUpgrade naar KadastraleKaart Pro
YmQh9MwBmVHfouUpgrade naar KadastraleKaart Pro
1QZnSKx txM5YkgKUpgrade naar KadastraleKaart Pro
07/01/2000

Percelen
Gebruik de zoekbalk of klik op een perceel om informatie over het perceel te bekijken.