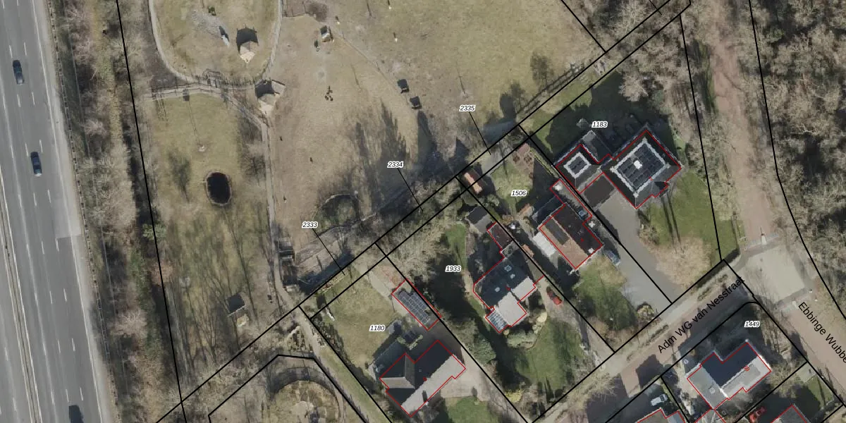
Perceel: SHT02-AG-2334
Geen adressen bij dit perceel
106 m2 - 58 m
Eigenaar opvragen
SHT02-AG-2334 (Staphorst)
- Geen postcode aanwezig
gpZ0Rjz YmwfIGVlv Y ywUpgrade naar KadastraleKaart Pro
Bekijk op Street View
Download DWG/DXF/Excel
BVM9dRjGg9gSgc7ZxtCrjUpgrade naar KadastraleKaart Pro
bLBuhOIy7gIhu3myUpgrade naar KadastraleKaart Pro
8eVB hepDPjGscdjZ c2TUpgrade naar KadastraleKaart Pro
CCVSmFuWGyH3nUrUpgrade naar KadastraleKaart Pro
VJMLkxd2z7pUpgrade naar KadastraleKaart Pro
4tfIR wHy thUpgrade naar KadastraleKaart Pro
gTftS0w Y1HAD v1Upgrade naar KadastraleKaart Pro
XqfLurbHQcaw IUpgrade naar KadastraleKaart Pro
HdBZH HYr eFdp 4Upgrade naar KadastraleKaart Pro
E00RXZVG3DMB9epUpgrade naar KadastraleKaart Pro
11/06/2003

Percelen
Gebruik de zoekbalk of klik op een perceel om informatie over het perceel te bekijken.