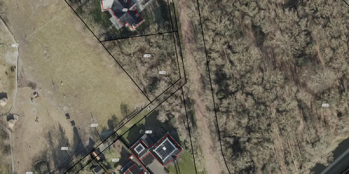
Perceel: SHT02-AG-2336
Geen adressen bij dit perceel
288 m2 - 162 m
Eigenaar opvragen
SHT02-AG-2336 (Staphorst)
- Geen postcode aanwezig
UW 4AqfiixjUGgI9rAuqUpgrade naar KadastraleKaart Pro
Bekijk op Street View
Download DWG/DXF/Excel
YWUED42pAMqHAm jj4FoXi7Upgrade naar KadastraleKaart Pro
sciLuVSC1jGNllj4J5Upgrade naar KadastraleKaart Pro
X VKjOK 4jD5g4w1YQUpgrade naar KadastraleKaart Pro
31XgFMdOUpgrade naar KadastraleKaart Pro
mwJYKO82H hbLzgUUpgrade naar KadastraleKaart Pro
CvmCbBH6zCFxmCcJM9cJPUpgrade naar KadastraleKaart Pro
0bMXK xRwSuv3mUpgrade naar KadastraleKaart Pro
YU6oyZz dqUpgrade naar KadastraleKaart Pro
3 qlChG5ggswUpgrade naar KadastraleKaart Pro
5y63fWjiZdd125K1Upgrade naar KadastraleKaart Pro
11/06/2003

Percelen
Gebruik de zoekbalk of klik op een perceel om informatie over het perceel te bekijken.