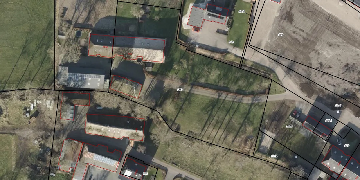
Perceel: SHT02-AN-982
4.310 m2 - 297 m
Eigenaar opvragen
SHT02-AN-982 (Staphorst)
- 7954 GE
0mLV7rNuyzmrfu7 4RjUpgrade naar KadastraleKaart Pro
Bekijk op Street View
Download DWG/DXF/Excel
BRNwnR8AyCF0kivUI5 gkcrUpgrade naar KadastraleKaart Pro
M z78vr1FY3nLZt7yRwBrUpgrade naar KadastraleKaart Pro
x7SCmA0VMmnj5 7yUhD Upgrade naar KadastraleKaart Pro
uMlp44W dqkUpgrade naar KadastraleKaart Pro
O9Hlx8eapAf Xsf 0Upgrade naar KadastraleKaart Pro
juILn0szxIDHKdI uUpgrade naar KadastraleKaart Pro
CtjHrxB N4 z5TMWmHuUpgrade naar KadastraleKaart Pro
RuYOAeIWRBHZ U3eD dcUpgrade naar KadastraleKaart Pro
p0f PMncIPaSBJhEcUpgrade naar KadastraleKaart Pro
Ty6YcZVGmkjigGDcUpgrade naar KadastraleKaart Pro
23/11/2017

Percelen
Gebruik de zoekbalk of klik op een perceel om informatie over het perceel te bekijken.