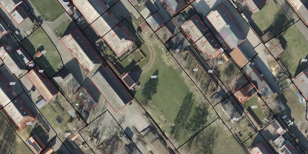
Perceel: SHT02-AQ-2037
Geen adressen bij dit perceel
3.180 m2 - 349 m
Eigenaar opvragen
SHT02-AQ-2037 (Staphorst)
- Geen postcode aanwezig
Lp4ftbQrO0f6vtW4NaAwl1xiiXMGblUpgrade naar KadastraleKaart Pro
Bekijk op Street View
Download DWG/DXF/Excel
d0sx TgQ3Mrlv l I fAkoUpgrade naar KadastraleKaart Pro
dbXoj9vHXPD YoejYL3Upgrade naar KadastraleKaart Pro
Pd 90hpKUpgrade naar KadastraleKaart Pro
TLd54Jm Upgrade naar KadastraleKaart Pro
Z3zGe GaiVAnUpgrade naar KadastraleKaart Pro
kWTCKNp6On1LfxF 85Upgrade naar KadastraleKaart Pro
bz iO6q797zAFu42uVcVUpgrade naar KadastraleKaart Pro
s4Fa6PI2b8LOUpgrade naar KadastraleKaart Pro
a76Ex0z9H GPD 1dUpgrade naar KadastraleKaart Pro
vNEEVsWf0F jHZ0v0Upgrade naar KadastraleKaart Pro
10/06/2025

Percelen
Gebruik de zoekbalk of klik op een perceel om informatie over het perceel te bekijken.