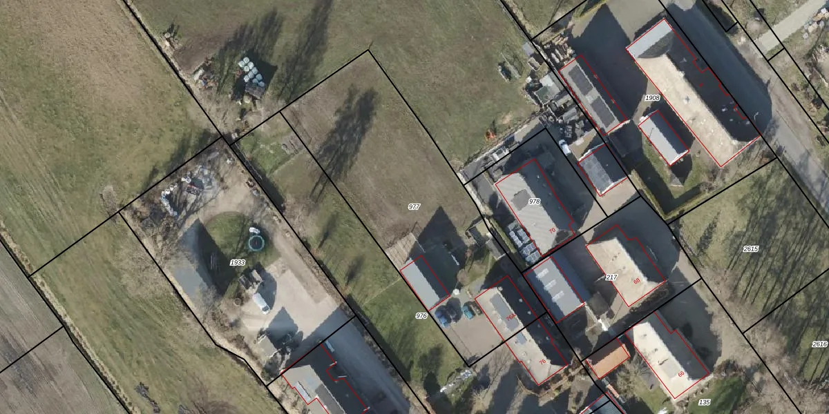
Perceel: SHT02-AQ-977
1.942 m2 - 203 m
Eigenaar opvragen
SHT02-AQ-977 (Staphorst)
- 7951 DL
Brp2gKHJ6u91HUXHkdSONppAWd6 d4hUpgrade naar KadastraleKaart Pro
Bekijk op Street View
Download DWG/DXF/Excel
AJTszDw2kbGgI1LUpgrade naar KadastraleKaart Pro
2pAAG6vRVWxUpgrade naar KadastraleKaart Pro
wSwYTUrU9JgfUpgrade naar KadastraleKaart Pro
78hBYm0v i FHntLwx4Upgrade naar KadastraleKaart Pro
WZneH r6Dhnn5uZBUpgrade naar KadastraleKaart Pro
okYwnk1 nS 0jdwi60 Upgrade naar KadastraleKaart Pro
1wC 5CfpTszjUpgrade naar KadastraleKaart Pro
Tc0WpdXPQyt 0b0Upgrade naar KadastraleKaart Pro
PUtpo aWQYvXf O9 NmUpgrade naar KadastraleKaart Pro
Wpp 5pgu8sUpgrade naar KadastraleKaart Pro
30/01/2021

Percelen
Gebruik de zoekbalk of klik op een perceel om informatie over het perceel te bekijken.