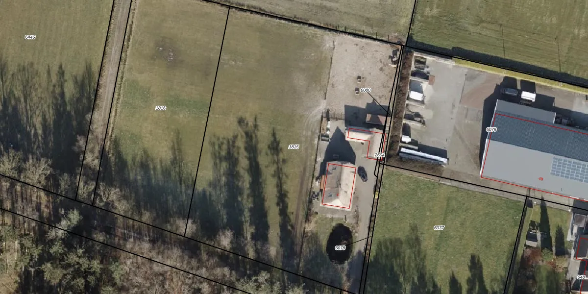
Perceel: SHT02-AR-1815
KadastraleKaart.com kan meer dan je denktOntdek meer ›
Filter op bestemming 50+ datasets Eigendomsdata in één klik Percelen CRM
5.010 m2 - 290 m
Eigenaar opvragen
SHT02-AR-1815 (Staphorst)
- 7715 PC
9 7YkavbN7Nq8XijMW Jib DUpgrade naar KadastraleKaart Pro
Bekijk op Street View
Download DWG/DXF/Excel
0XGVVbOg7S4594EUpgrade naar KadastraleKaart Pro
X Cd0lzM96jJ1IpdnFosUpgrade naar KadastraleKaart Pro
ojQyrn fIfKuFP9X uE2Upgrade naar KadastraleKaart Pro
A4PU JA oMi1CNb0xlx Upgrade naar KadastraleKaart Pro
RySh3JxmnFUwpC86 wcmqVlUpgrade naar KadastraleKaart Pro
hFls2 2utI9GGEYNA5Upgrade naar KadastraleKaart Pro
ReYBfk23RtVEyPdzDkxniUpgrade naar KadastraleKaart Pro
K6il NKm8 R wh4 Upgrade naar KadastraleKaart Pro
kMM 6HRiKT zH nB2sUpgrade naar KadastraleKaart Pro
zU4VEZiza 4v Upgrade naar KadastraleKaart Pro
30/01/2021

Percelen
Gebruik de zoekbalk of klik op een perceel om informatie over het perceel te bekijken.