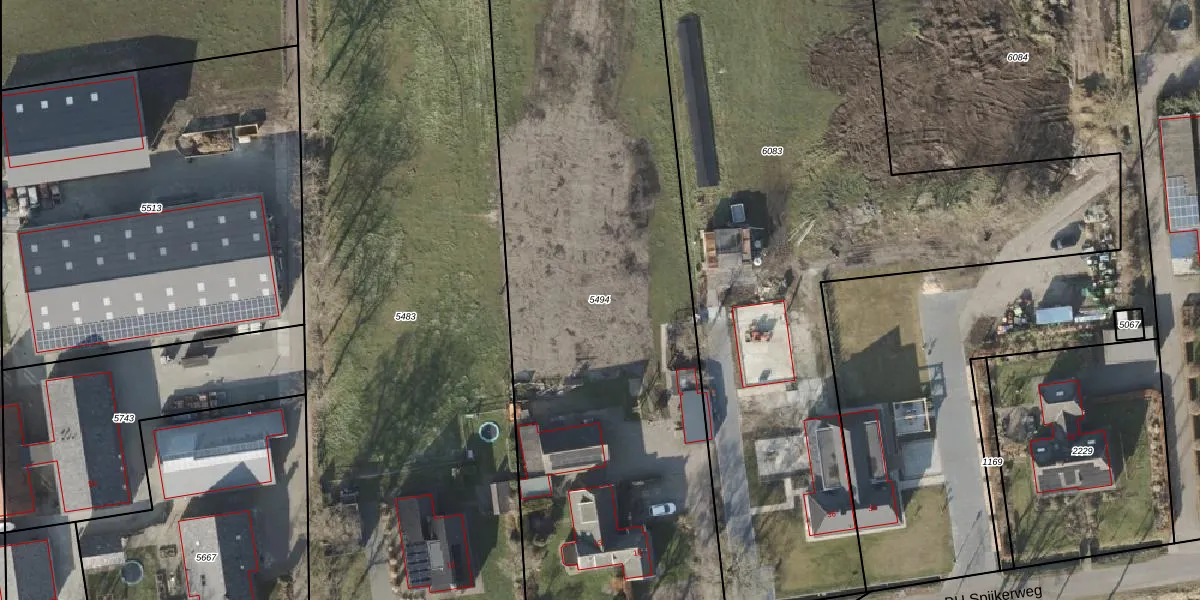
Perceel: SHT02-AR-5494
KadastraleKaart.com kan meer dan je denktOntdek meer ›
Filter op bestemming 50+ datasets Eigendomsdata in één klik Percelen CRM
3.610 m2 - 288 m
Eigenaar opvragen
SHT02-AR-5494 (Staphorst)
- 7715 PZ
XK2kjfq1PVR2nGOznNMi6 CTB0Upgrade naar KadastraleKaart Pro
Bekijk op Street View
Download DWG/DXF/Excel
ZUi7MkifQUpgrade naar KadastraleKaart Pro
pZ E M4WRkQIxPsnZUpgrade naar KadastraleKaart Pro
7PGjadjEur4XUpgrade naar KadastraleKaart Pro
mKlt6cwxxwK DV6Ro6SegGbUpgrade naar KadastraleKaart Pro
6wNgZi0yp5mAkwLBvImQxYUpgrade naar KadastraleKaart Pro
xwmEXoU6J7HP3lMUpgrade naar KadastraleKaart Pro
E3wUUZ8dFVvTKbUpgrade naar KadastraleKaart Pro
52vhjE4kRures q7cUpgrade naar KadastraleKaart Pro
3zE3GIkjltkkAO4OZ Upgrade naar KadastraleKaart Pro
zbr2HpCVqtzv3nIUeVeJUpgrade naar KadastraleKaart Pro
30/01/2021

Percelen
Gebruik de zoekbalk of klik op een perceel om informatie over het perceel te bekijken.