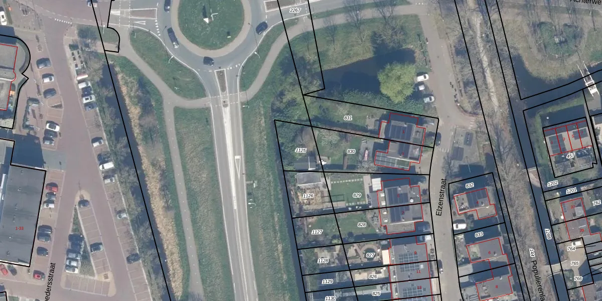
Perceel: SHV00-E-1125
KadastraleKaart.com kan meer dan je denktOntdek meer ›
Filter op bestemming 50+ datasets Eigendomsdata in één klik Percelen CRM
Geen adressen bij dit perceel
200 m2 - 59 m
Eigenaar opvragen
SHV00-E-1125 (Schoonhoven)
- Geen postcode aanwezig
A4hqT8PVcoic8I5o7PdgdrQamoXUpgrade naar KadastraleKaart Pro
Bekijk op Street View
Download DWG/DXF/Excel
8LxBOs0ERdPyMvvgcY6sUpgrade naar KadastraleKaart Pro
DlmRGckvFw XHSmKc Upgrade naar KadastraleKaart Pro
K8S BN8guciUpgrade naar KadastraleKaart Pro
WVlCQm 5hw8V 1Upgrade naar KadastraleKaart Pro
0S0xshN3sx JFwEYUpgrade naar KadastraleKaart Pro
p LZ4plUGxSmMUpgrade naar KadastraleKaart Pro
P860woOHk9bLKkK wIUpgrade naar KadastraleKaart Pro
kqHQ MU8YcHUpgrade naar KadastraleKaart Pro
CMplSv6BgDEUpgrade naar KadastraleKaart Pro
0zXhfXlo6UpUpgrade naar KadastraleKaart Pro
06/07/2004

Percelen
Gebruik de zoekbalk of klik op een perceel om informatie over het perceel te bekijken.