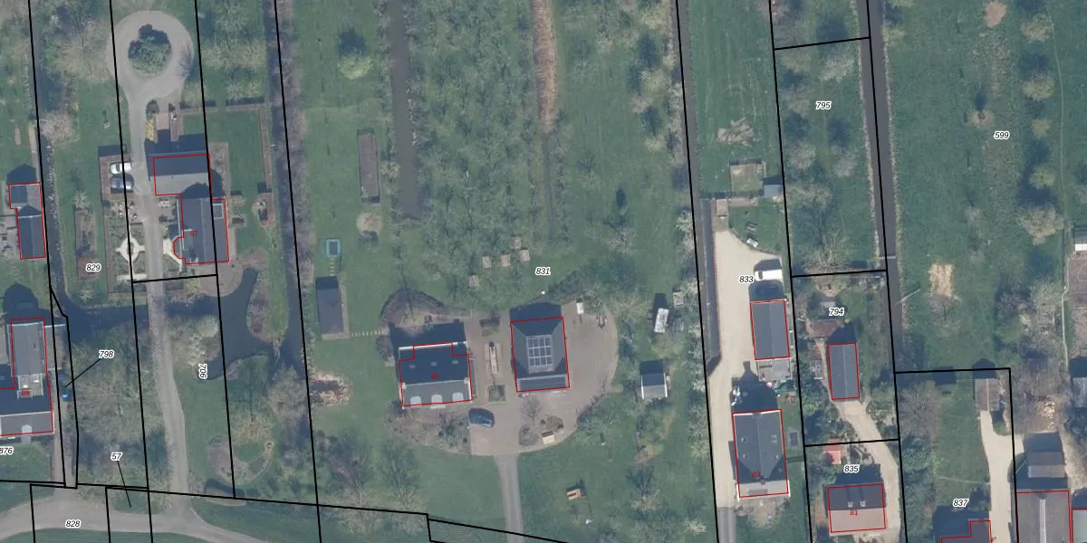
Perceel: SHV00-F-831
KadastraleKaart.com kan meer dan je denktOntdek meer ›
Filter op bestemming 50+ datasets Eigendomsdata in één klik Percelen CRM
9.520 m2 - 412 m
Eigenaar opvragen
SHV00-F-831 (Schoonhoven)
- 2871 MN
6wyP19EcRgFL 71FvUpgrade naar KadastraleKaart Pro
Verkoopprijs opvragen
Bekijk op Street View
Download DWG/DXF/Excel
JKGFBvgutmUpgrade naar KadastraleKaart Pro
e ShiwRV5nBk8jE7 zUpgrade naar KadastraleKaart Pro
TEvQ 9JsR2s4j5G9CDUpgrade naar KadastraleKaart Pro
BFso2ylN7DrYpUpgrade naar KadastraleKaart Pro
UZO 4F3Wdguq6 zc Upgrade naar KadastraleKaart Pro
uiU jwGGkt6G JnlP6kUpgrade naar KadastraleKaart Pro
GfL96l FWcgnANeUpgrade naar KadastraleKaart Pro
72q7fkXv52 ZVtc8Upgrade naar KadastraleKaart Pro
Ah4CJgMFyf1ZE Upgrade naar KadastraleKaart Pro
Po eQPDHJvL93t7fcn3 a Upgrade naar KadastraleKaart Pro
17/01/2017

Percelen
Gebruik de zoekbalk of klik op een perceel om informatie over het perceel te bekijken.