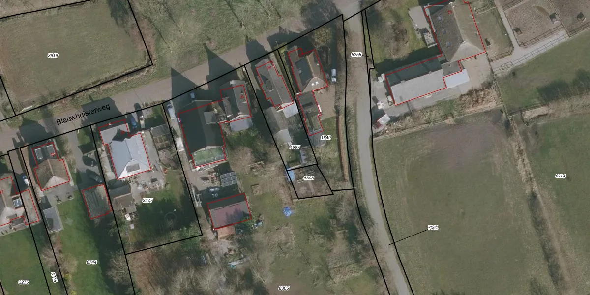
Perceel: SHZ00-B-4667
475 m2 - 104 m
Eigenaar opvragen
SHZ00-B-4667 (Surhuizum)
- 9231 AB
SSD phF5TUJ JA2GghGaMoBbGMV4lUpgrade naar KadastraleKaart Pro
Bekijk op Street View
Download DWG/DXF/Excel
XSxlLKpQXM3i z6nUpgrade naar KadastraleKaart Pro
8iHbueX2IUpgrade naar KadastraleKaart Pro
p06 pCTefbkIBZovr cXRUpgrade naar KadastraleKaart Pro
Jy5JnqKFHbeK4Upgrade naar KadastraleKaart Pro
PI9RNa4N8BiaV tlUpgrade naar KadastraleKaart Pro
JUmWxrqcR h hR G5p0lwmUpgrade naar KadastraleKaart Pro
QVPWUcmNF 2Upgrade naar KadastraleKaart Pro
MShVAn1wk a 1 Upgrade naar KadastraleKaart Pro
5Z4Ff9ikKUpgrade naar KadastraleKaart Pro
2P2x0pogyCPtmQOzjvcUP2Upgrade naar KadastraleKaart Pro
15/01/1998

Percelen
Gebruik de zoekbalk of klik op een perceel om informatie over het perceel te bekijken.