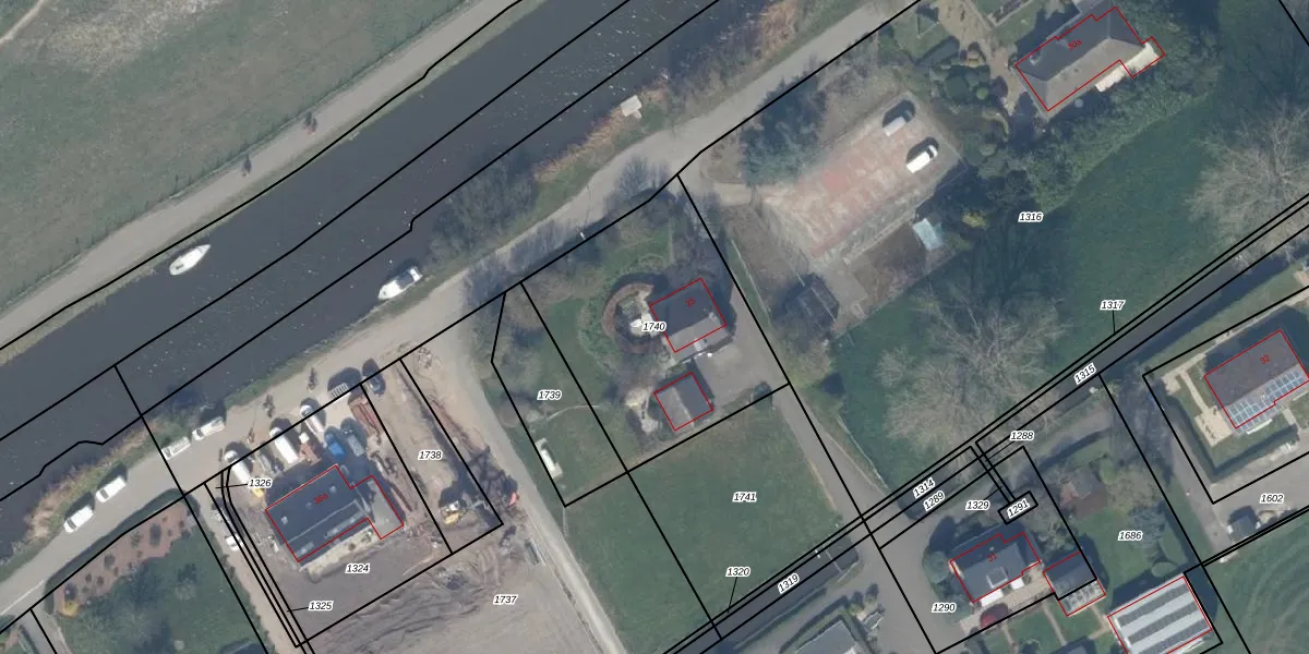
Perceel: SLD02-G-1740
KadastraleKaart.com kan meer dan je denktOntdek meer ›
Filter op bestemming 50+ datasets Eigendomsdata in één klik Percelen CRM
1.020 m2 - 127 m
Eigenaar opvragen
SLD02-G-1740 (Schipluiden)
- 2635 CV
eO59fOU5MbHI4fqfEUosuPwTV8 Za wUpgrade naar KadastraleKaart Pro
Verkoopprijs opvragen
Bekijk op Street View
Download DWG/DXF/Excel
HA4A vT9miUpgrade naar KadastraleKaart Pro
i19E9sEcPXPMgCF4Upgrade naar KadastraleKaart Pro
O2Yimo1KiO faYB3Gl m5uaUpgrade naar KadastraleKaart Pro
XY eDowq0Upgrade naar KadastraleKaart Pro
MIlyB0o1CwiCfvpz1oz8Upgrade naar KadastraleKaart Pro
lRmRg5Ge8wFKoP6Upgrade naar KadastraleKaart Pro
DQQtXhAQfzX GVwDbQw7Upgrade naar KadastraleKaart Pro
oKnBk nDuqUpgrade naar KadastraleKaart Pro
iBnMFeQnntTUpgrade naar KadastraleKaart Pro
4tRJ8kr tRZ GGpFb4gALUpgrade naar KadastraleKaart Pro
09/10/2024

Percelen
Gebruik de zoekbalk of klik op een perceel om informatie over het perceel te bekijken.