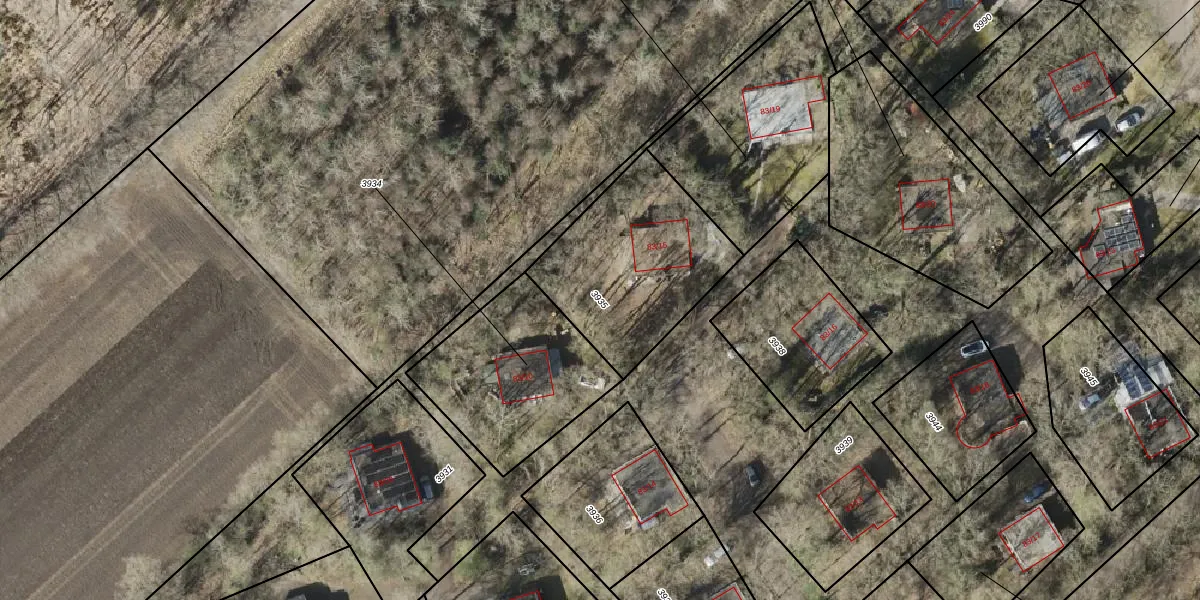
Perceel: SLE00-A-3935
KadastraleKaart.com kan meer dan je denktOntdek meer ›
Filter op bestemming 50+ datasets Eigendomsdata in één klik Percelen CRM
702 m2 - 106 m
Eigenaar opvragen
SLE00-A-3935 (Sleen)
- 7848 AG
It37RGCv MK34ve8Q3XE 2jSmaIomUpgrade naar KadastraleKaart Pro
Bekijk op Street View
Download DWG/DXF/Excel
YtqN55aLm hP3j ZnjXWP0Upgrade naar KadastraleKaart Pro
a4BtXIB 2HOw pih Upgrade naar KadastraleKaart Pro
0pulqejvYhTUpgrade naar KadastraleKaart Pro
fbx0 ZGCUpgrade naar KadastraleKaart Pro
0b5BTF kl KVNkfUpgrade naar KadastraleKaart Pro
enQcV gllmjUpgrade naar KadastraleKaart Pro
HnNz791UmBocKkXfZqZ9EYKUpgrade naar KadastraleKaart Pro
HmfLGgVwclwggUpgrade naar KadastraleKaart Pro
AUoUE Ul1wZR uVhkdBgdLPUpgrade naar KadastraleKaart Pro
V1rhASyhkfQ9kpyAd72wUpgrade naar KadastraleKaart Pro
22/04/2008

Percelen
Gebruik de zoekbalk of klik op een perceel om informatie over het perceel te bekijken.