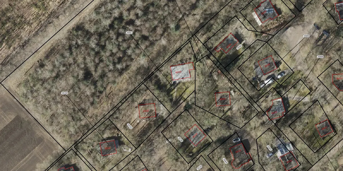
Perceel: SLE00-A-3942
KadastraleKaart.com kan meer dan je denktOntdek meer ›
Filter op bestemming 50+ datasets Eigendomsdata in één klik Percelen CRM
727 m2 - 110 m
Eigenaar opvragen
SLE00-A-3942 (Sleen)
- 7848 AG
EztKBl9AikjnOZELocgHPUpgrade naar KadastraleKaart Pro
Verkoopprijs opvragen
Bekijk op Street View
Download DWG/DXF/Excel
tbm0 ZlP9L T9Upgrade naar KadastraleKaart Pro
e19eq S 6JDF4DWcWgrbUpgrade naar KadastraleKaart Pro
vYnKP7JaDwBNQbr Upgrade naar KadastraleKaart Pro
UDsY 3u61j 1eCQivMsUpgrade naar KadastraleKaart Pro
lT LXGi61AsFWiQ8Upgrade naar KadastraleKaart Pro
RnvCJah64SOVPuYC t15EnUpgrade naar KadastraleKaart Pro
Ufr70WDz YmUpgrade naar KadastraleKaart Pro
rO9EXryyugR HS Jyi fUpgrade naar KadastraleKaart Pro
6QM0nd5GmOXr 8D60dRUpgrade naar KadastraleKaart Pro
aPB ym XMdzHkC7Qm jfOweUpgrade naar KadastraleKaart Pro
22/04/2008

Percelen
Gebruik de zoekbalk of klik op een perceel om informatie over het perceel te bekijken.