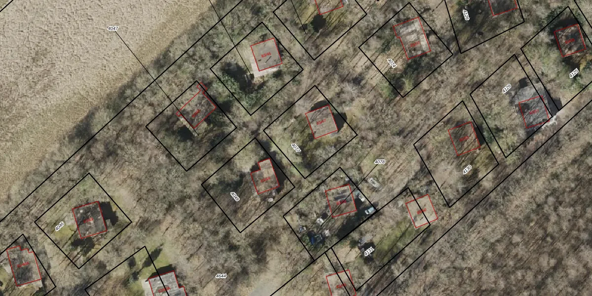
Perceel: SLE00-A-4077
KadastraleKaart.com kan meer dan je denktOntdek meer ›
Filter op bestemming 50+ datasets Eigendomsdata in één klik Percelen CRM
506 m2 - 90 m
Eigenaar opvragen
SLE00-A-4077 (Sleen)
- 7848 AG
WkSdZOIUeC16VvAEmCVLzUpgrade naar KadastraleKaart Pro
Bekijk op Street View
Download DWG/DXF/Excel
CAs2BvVdPC7mUpgrade naar KadastraleKaart Pro
dwx0QLX BYa8mVNwNUpgrade naar KadastraleKaart Pro
qyA3IbcfQCBUpgrade naar KadastraleKaart Pro
ascxHlS hndp7S Upgrade naar KadastraleKaart Pro
MlHFnnkHDDUpgrade naar KadastraleKaart Pro
glEWxUL03 Otx5dUUUpgrade naar KadastraleKaart Pro
SRWvE7f MlmXE1 rkrUpgrade naar KadastraleKaart Pro
8JEBrd8dsC2jUSWsb2cUpgrade naar KadastraleKaart Pro
xuQ1daI4zUpgrade naar KadastraleKaart Pro
Z Pcadq5IharUpgrade naar KadastraleKaart Pro
28/11/1997

Percelen
Gebruik de zoekbalk of klik op een perceel om informatie over het perceel te bekijken.