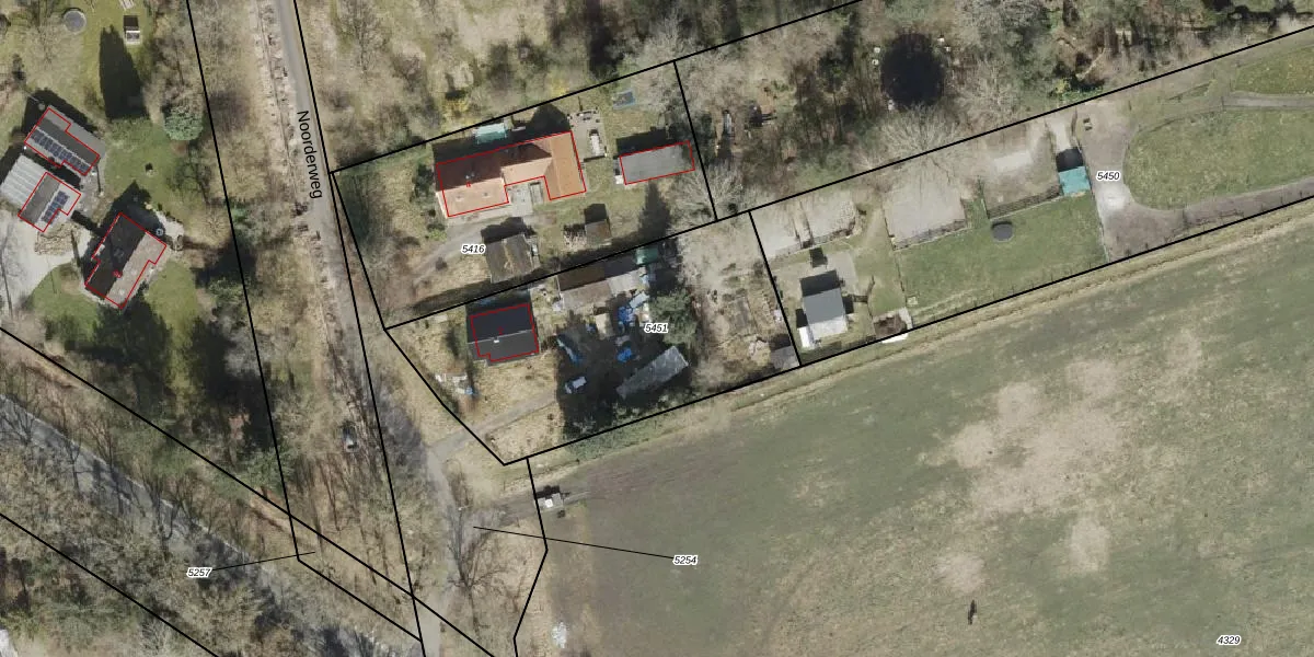
Perceel: SLE00-A-5451
KadastraleKaart.com kan meer dan je denktOntdek meer ›
Filter op bestemming 50+ datasets Eigendomsdata in één klik Percelen CRM
1.371 m2 - 159 m
Eigenaar opvragen
SLE00-A-5451 (Sleen)
- 7849 TB
fZ0uCi0LbvHSRRM09SjUnUpgrade naar KadastraleKaart Pro
Verkoopprijs opvragen
Bekijk op Street View
Download DWG/DXF/Excel
q6yd0gMTIe96fAuv2aA GIUpgrade naar KadastraleKaart Pro
f9wnJsafQFUpgrade naar KadastraleKaart Pro
BRAEI8GEE9Upgrade naar KadastraleKaart Pro
SXqsWAGe9WUPEkUpgrade naar KadastraleKaart Pro
KJ AkfJ7hPhByqTwGpOnwzUpgrade naar KadastraleKaart Pro
rwZ20f0jkE9fWrKOPogYeUpgrade naar KadastraleKaart Pro
Ju5j0ykGCLWUpgrade naar KadastraleKaart Pro
jjjICf6yyd uubfwUpgrade naar KadastraleKaart Pro
C TjJuI7380FgJv1AneiSqHUpgrade naar KadastraleKaart Pro
Ku5 9859VIzICeJMeLxXvm0Upgrade naar KadastraleKaart Pro
23/01/2002

Percelen
Gebruik de zoekbalk of klik op een perceel om informatie over het perceel te bekijken.