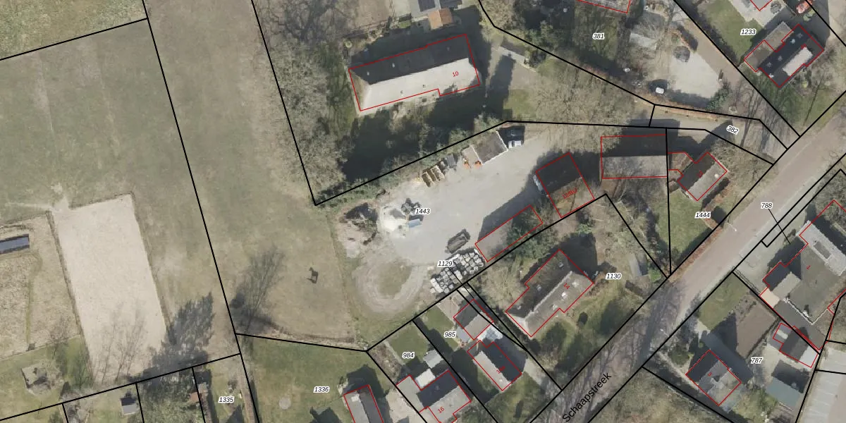
Perceel: SLE00-K-1443
KadastraleKaart.com kan meer dan je denktOntdek meer ›
Filter op bestemming 50+ datasets Eigendomsdata in één klik Percelen CRM
4.925 m2 - 433 m
Eigenaar opvragen
SLE00-K-1443 (Sleen)
- 7841 BS
TfoY nEBxvKjY3wyCDd3EO iUpgrade naar KadastraleKaart Pro
Bekijk op Street View
Download DWG/DXF/Excel
zgZ3u5S28cMR okUpgrade naar KadastraleKaart Pro
ZR2 SmLMq rFJ Aeh8 UDUpgrade naar KadastraleKaart Pro
duF9A 0aRUpgrade naar KadastraleKaart Pro
fPHdn yurSPKg1Upgrade naar KadastraleKaart Pro
tOXq7 Z20YUJNXWiTUpgrade naar KadastraleKaart Pro
0uOHNMjn kF sPOi NPVUpgrade naar KadastraleKaart Pro
ca9kf8ISUaWdyiUpgrade naar KadastraleKaart Pro
TtWY3dyU Upgrade naar KadastraleKaart Pro
qFhRGWUcSOGgi7T6T rvUpgrade naar KadastraleKaart Pro
L6 GipP41LKUpgrade naar KadastraleKaart Pro
17/09/2003

Percelen
Gebruik de zoekbalk of klik op een perceel om informatie over het perceel te bekijken.