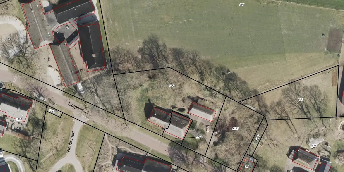
Perceel: SLE00-O-829
KadastraleKaart.com kan meer dan je denktOntdek meer ›
Filter op bestemming 50+ datasets Eigendomsdata in één klik Percelen CRM
1.920 m2 - 221 m
Eigenaar opvragen
SLE00-O-829 (Sleen)
- 7846 AS
JC Sl5sq8 N6s5esZUpgrade naar KadastraleKaart Pro
Verkoopprijs opvragen
Bekijk op Street View
Download DWG/DXF/Excel
LedfqLRQwpsTUpgrade naar KadastraleKaart Pro
73BF S3KZoXUpgrade naar KadastraleKaart Pro
5f PLZOq3GXrB5fUEUCCkUpgrade naar KadastraleKaart Pro
XRsUQ EBd4zL0 KQc6CF9Upgrade naar KadastraleKaart Pro
v6w6xH F8mYSR22BKtroUpgrade naar KadastraleKaart Pro
kDEcQvZxjisUpgrade naar KadastraleKaart Pro
XlBEKyg6viNgMVZIM J CDUpgrade naar KadastraleKaart Pro
15URih6NPHUpgrade naar KadastraleKaart Pro
S zZlG9Ropsl0xSUpgrade naar KadastraleKaart Pro
a PxVR mE4OrwZUpgrade naar KadastraleKaart Pro
15/09/2003

Percelen
Gebruik de zoekbalk of klik op een perceel om informatie over het perceel te bekijken.