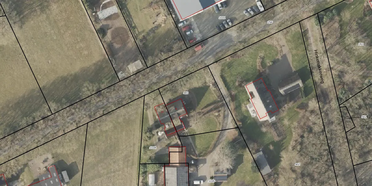
Perceel: SLE00-O-943
KadastraleKaart.com kan meer dan je denktOntdek meer ›
Filter op bestemming 50+ datasets Eigendomsdata in één klik Percelen CRM
985 m2 - 126 m
Eigenaar opvragen
SLE00-O-943 (Sleen)
- 7846 TJ
yl Bwd rg606aop3FOTtv0Upgrade naar KadastraleKaart Pro
Bekijk op Street View
Download DWG/DXF/Excel
mLxBBJU NUpgrade naar KadastraleKaart Pro
mYkH0GYiA1TUpgrade naar KadastraleKaart Pro
QKEEWLHF5xAnnNXL1Upgrade naar KadastraleKaart Pro
7V428Fb RN TGUpgrade naar KadastraleKaart Pro
8EnlujaP4Upgrade naar KadastraleKaart Pro
XfRAw2wF8fUpgrade naar KadastraleKaart Pro
3wlHtPJFnSoUpgrade naar KadastraleKaart Pro
gudj1PimiZFLTyr1OXi4 sUpgrade naar KadastraleKaart Pro
Glcu ST4Gkwlla7CUpgrade naar KadastraleKaart Pro
KJVwxpeYFLpm vJUpgrade naar KadastraleKaart Pro
15/09/2003

Percelen
Gebruik de zoekbalk of klik op een perceel om informatie over het perceel te bekijken.