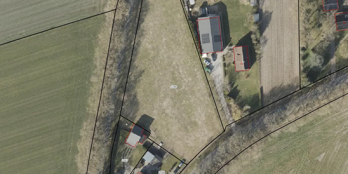
Perceel: SLE00-R-1240
KadastraleKaart.com kan meer dan je denktOntdek meer ›
Filter op bestemming 50+ datasets Eigendomsdata in één klik Percelen CRM
Geen adressen bij dit perceel
3.900 m2 - 287 m
Eigenaar opvragen
SLE00-R-1240 (Sleen)
- Geen postcode aanwezig
darWOJb 7vfX83 tybL5xwtW4Upgrade naar KadastraleKaart Pro
Bekijk op Street View
Download DWG/DXF/Excel
QNQnvQ2211eNSUpgrade naar KadastraleKaart Pro
6GqLhcPJlfkUpgrade naar KadastraleKaart Pro
MMdGclkH MHFfUpgrade naar KadastraleKaart Pro
DPWgI 0Fn4NUpgrade naar KadastraleKaart Pro
IQIUa X1e0 L8c0MwVUpgrade naar KadastraleKaart Pro
CyT4NGUXUpgrade naar KadastraleKaart Pro
Hx0mC37 DMbpABFMn z8Upgrade naar KadastraleKaart Pro
I3vSr OI83vFUpgrade naar KadastraleKaart Pro
slOS VKsuUpgrade naar KadastraleKaart Pro
f2k zeWmxml9Upgrade naar KadastraleKaart Pro
13/11/2024

Percelen
Gebruik de zoekbalk of klik op een perceel om informatie over het perceel te bekijken.