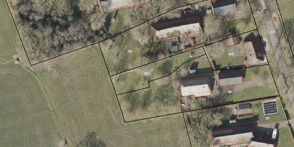
Perceel: SLE00-R-2108
KadastraleKaart.com kan meer dan je denktOntdek meer ›
Filter op bestemming 50+ datasets Eigendomsdata in één klik Percelen CRM
Geen adressen bij dit perceel
785 m2 - 156 m
Eigenaar opvragen
SLE00-R-2108 (Sleen)
- Geen postcode aanwezig
xeAQWxmvPiyV1jfGUpgrade naar KadastraleKaart Pro
Bekijk op Street View
Download DWG/DXF/Excel
2E vtkJLMH 6UO2zJ4z2iUpgrade naar KadastraleKaart Pro
ZNNs2eSVuMVSF brUpgrade naar KadastraleKaart Pro
1eo 7Tcwqd1WCUpgrade naar KadastraleKaart Pro
bw d9zf7DN1hINUpgrade naar KadastraleKaart Pro
oRw 4Kms5wV0sB LMjd3Upgrade naar KadastraleKaart Pro
z0eaF0x2Wr5J0lJDUpgrade naar KadastraleKaart Pro
p uNcuiEIa 62Cv2 OHuqUpgrade naar KadastraleKaart Pro
ubN7xcGiAUpgrade naar KadastraleKaart Pro
km rtRQgeGpmqUpgrade naar KadastraleKaart Pro
LJiHvWQ46EpElW6Z7Upgrade naar KadastraleKaart Pro
07/11/2008

Percelen
Gebruik de zoekbalk of klik op een perceel om informatie over het perceel te bekijken.