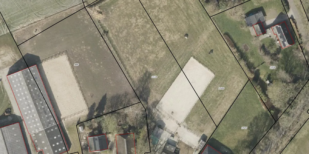
Perceel: SLE00-R-2118
KadastraleKaart.com kan meer dan je denktOntdek meer ›
Filter op bestemming 50+ datasets Eigendomsdata in één klik Percelen CRM
4.623 m2 - 344 m
Eigenaar opvragen
SLE00-R-2118 (Sleen)
- 7842 TA
ZYnlVlaQd1 D Q aLJZk1XCMIaUpgrade naar KadastraleKaart Pro
Verkoopprijs opvragen
Bekijk op Street View
Download DWG/DXF/Excel
0xFtXmQGE5YUpgrade naar KadastraleKaart Pro
l gjFVz4psgzUpgrade naar KadastraleKaart Pro
FVV VEwW7IUpgrade naar KadastraleKaart Pro
j3PyC7is NwdCuqVD8v pUpgrade naar KadastraleKaart Pro
AF tJvYWq on VxUpgrade naar KadastraleKaart Pro
HayMUo lAjb4dD69xNPN0xUpgrade naar KadastraleKaart Pro
4QjsHN 50Rm Upgrade naar KadastraleKaart Pro
h X8Bj8 0M5QUpgrade naar KadastraleKaart Pro
wJ ynvxq7NG6OSM7DYUzK3Upgrade naar KadastraleKaart Pro
hYhqnWb6xMg0cisGZCiL6dyUpgrade naar KadastraleKaart Pro
11/12/2008

Percelen
Gebruik de zoekbalk of klik op een perceel om informatie over het perceel te bekijken.