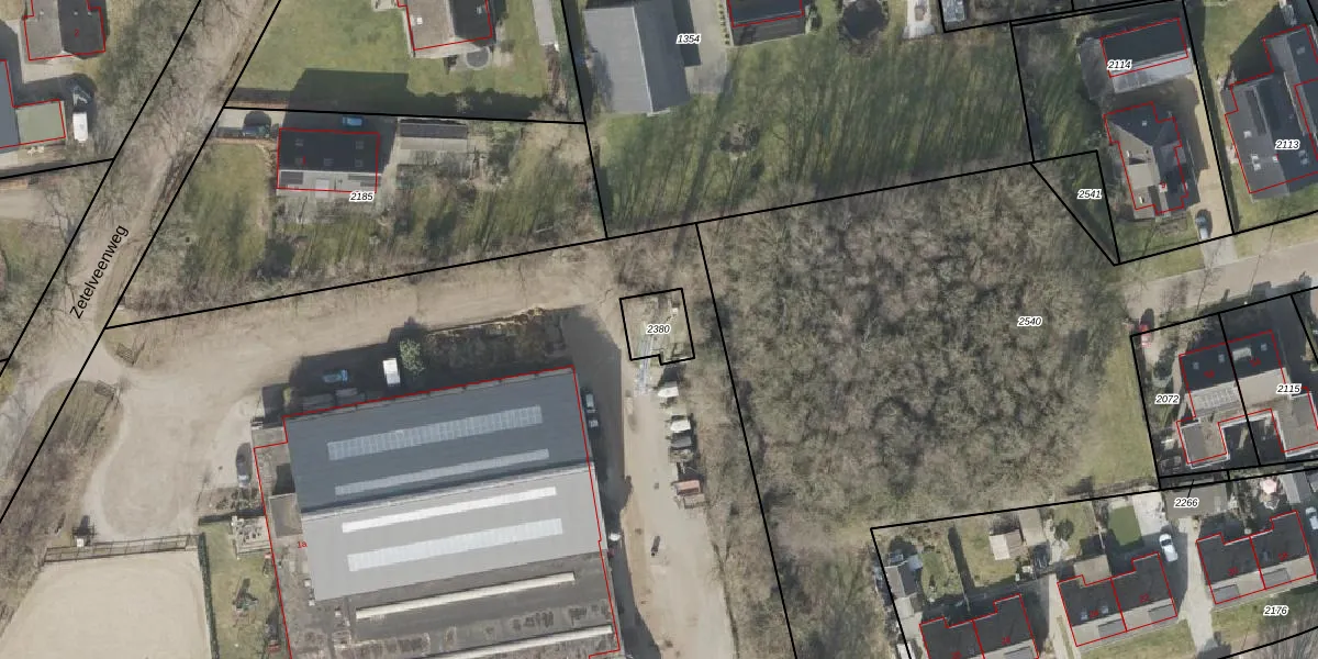
Perceel: SLE00-R-2380
KadastraleKaart.com kan meer dan je denktOntdek meer ›
Filter op bestemming 50+ datasets Eigendomsdata in één klik Percelen CRM
Geen adressen bij dit perceel
96 m2 - 41 m
Eigenaar opvragen
SLE00-R-2380 (Sleen)
- Geen postcode aanwezig
dHJgba9AfkqkN uh3 YUpgrade naar KadastraleKaart Pro
Bekijk op Street View
Download DWG/DXF/Excel
3tURV wE0vC1sWJaQmd Upgrade naar KadastraleKaart Pro
aMJfrxTOTj8d141Upgrade naar KadastraleKaart Pro
ybRa0nJbY7bDoJQ0 4nl Upgrade naar KadastraleKaart Pro
sl1QPchjg0 wcNYrs6cUpgrade naar KadastraleKaart Pro
ICZBw Q1pAvjWBg0OovEUyUpgrade naar KadastraleKaart Pro
HQzwqqqLihBDak5IUpgrade naar KadastraleKaart Pro
1C waGh0x O9 AGhQu1bUpgrade naar KadastraleKaart Pro
KBnr1SrO EKUpgrade naar KadastraleKaart Pro
8W D1jUtkjtB3 dUpgrade naar KadastraleKaart Pro
OJ9bmAM91gy60u1kUpgrade naar KadastraleKaart Pro
21/04/2017

Percelen
Gebruik de zoekbalk of klik op een perceel om informatie over het perceel te bekijken.