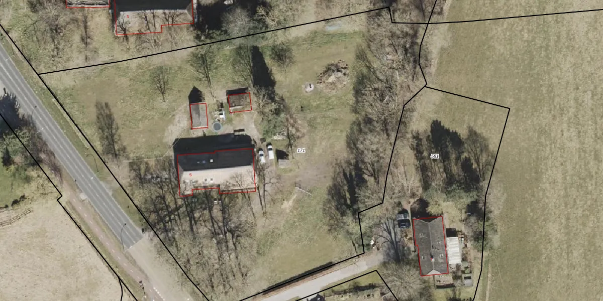
Perceel: SLE00-S-171
KadastraleKaart.com kan meer dan je denktOntdek meer ›
Filter op bestemming 50+ datasets Eigendomsdata in één klik Percelen CRM
7.730 m2 - 374 m
Eigenaar opvragen
SLE00-S-171 (Sleen)
- 7843 TE
QVc yAab9T 5Mx 7Z6AncvxUpMCUpgrade naar KadastraleKaart Pro
Verkoopprijs opvragen
Bekijk op Street View
Download DWG/DXF/Excel
sVug0Tbjy6bZQomawv u5Upgrade naar KadastraleKaart Pro
uj6bk4DWVj01k5 Upgrade naar KadastraleKaart Pro
IYXI 1YctgpSGl0fEUpgrade naar KadastraleKaart Pro
gMD2l2jhNkvG1jgKoQu1YUpgrade naar KadastraleKaart Pro
sINA3U8gxkuoUpgrade naar KadastraleKaart Pro
g1 YJOGUpgrade naar KadastraleKaart Pro
eFISxrt df0Upgrade naar KadastraleKaart Pro
B8ilMcE c sIdwUpgrade naar KadastraleKaart Pro
BiYJX3sTPXUpgrade naar KadastraleKaart Pro
j JXx0SToNynyUpgrade naar KadastraleKaart Pro
02/01/2006

Percelen
Gebruik de zoekbalk of klik op een perceel om informatie over het perceel te bekijken.