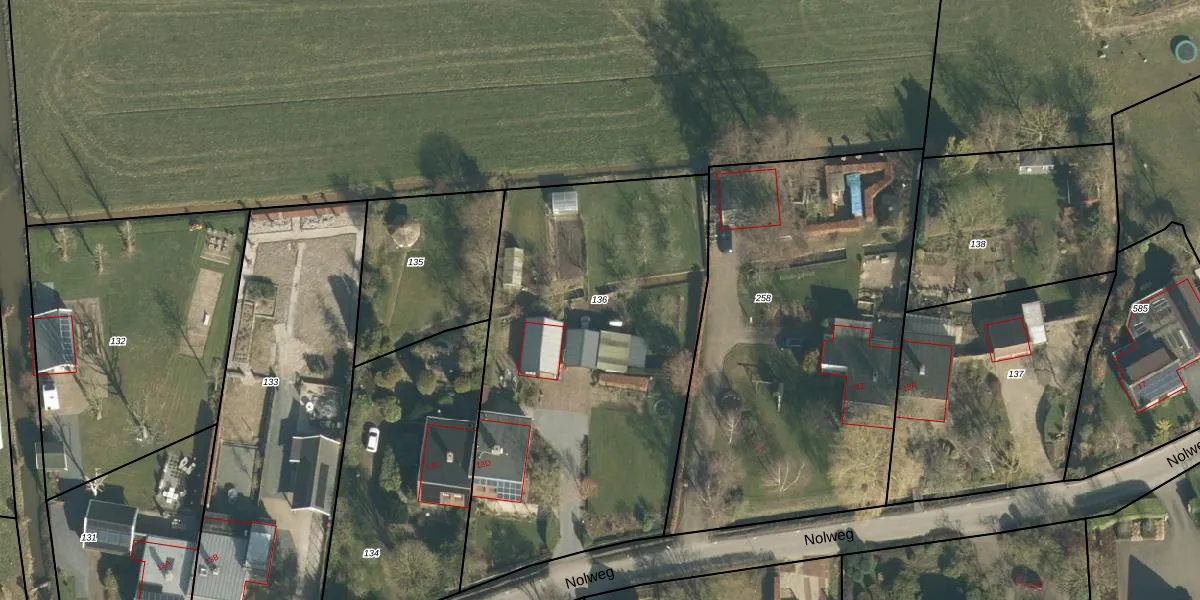
Perceel: SLN00-A-136
KadastraleKaart.com kan meer dan je denktOntdek meer ›
Filter op bestemming 50+ datasets Eigendomsdata in één klik Percelen CRM
2.140 m2 - 198 m
Eigenaar opvragen
SLN00-A-136 (Schelluinen)
- 4209 AW
2y8DEjIKkapYgDkBu X1MoHwUpgrade naar KadastraleKaart Pro
Verkoopprijs opvragen
Bekijk op Street View
Download DWG/DXF/Excel
8 KU7oM6e0ioElQIYdZJbQ8Upgrade naar KadastraleKaart Pro
XQpHSRX lBIhUpgrade naar KadastraleKaart Pro
2 yCLn7 iwqzUpgrade naar KadastraleKaart Pro
zgx1 WRlWUpgrade naar KadastraleKaart Pro
1zaYOrs1vUpgrade naar KadastraleKaart Pro
dEdCvMsEuTXvf jYtUpgrade naar KadastraleKaart Pro
utl2 cNr5Upgrade naar KadastraleKaart Pro
gr gnapaVI7RtyUSQUpgrade naar KadastraleKaart Pro
d1 Hk4vCgUpgrade naar KadastraleKaart Pro
ot hbhno5MtUpgrade naar KadastraleKaart Pro
10/04/2001

Percelen
Gebruik de zoekbalk of klik op een perceel om informatie over het perceel te bekijken.