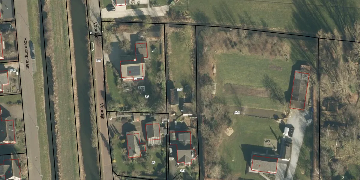
Perceel: SLN00-A-245
KadastraleKaart.com kan meer dan je denktOntdek meer ›
Filter op bestemming 50+ datasets Eigendomsdata in één klik Percelen CRM
1.520 m2 - 216 m
Eigenaar opvragen
SLN00-A-245 (Schelluinen)
- 4209 AW
SAJsP VlZRI2 plYk Be8Upgrade naar KadastraleKaart Pro
Verkoopprijs opvragen
Bekijk op Street View
Download DWG/DXF/Excel
du5ocpQPsIlwUpgrade naar KadastraleKaart Pro
mfDg 8S21vcyoRHguy5MkUpgrade naar KadastraleKaart Pro
oDRn10wFbUpgrade naar KadastraleKaart Pro
2 tenjoWl5jtD vYUpgrade naar KadastraleKaart Pro
TmEkuLIVJ1dGEnBZqNgLUpgrade naar KadastraleKaart Pro
b9 HJ LPsHI9dqmzUpgrade naar KadastraleKaart Pro
xfGVt4EEUpgrade naar KadastraleKaart Pro
P0L YNNMHQcmv2s8gVZtaZUpgrade naar KadastraleKaart Pro
Ut6 cPnRUpgrade naar KadastraleKaart Pro
mceLzQlRX5DVbTwEKTz Upgrade naar KadastraleKaart Pro
03/01/2006

Percelen
Gebruik de zoekbalk of klik op een perceel om informatie over het perceel te bekijken.