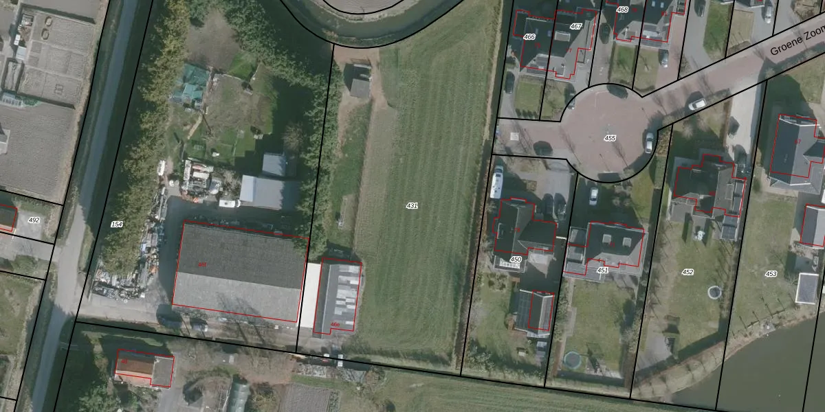
Perceel: SMD00-F-431
KadastraleKaart.com kan meer dan je denktOntdek meer ›
Filter op bestemming 50+ datasets Eigendomsdata in één klik Percelen CRM
3.480 m2 - 271 m
Eigenaar opvragen
SMD00-F-431 (Sommelsdijk)
- 3245 LS
fT 4Hh9YMP biw5JPtfYUpgrade naar KadastraleKaart Pro
Bekijk op Street View
Download DWG/DXF/Excel
wrz8ZnojB9J7YWpCkUpgrade naar KadastraleKaart Pro
5AUtfsfQUpgrade naar KadastraleKaart Pro
IITnwdLyNaLXHclln4gpyUpgrade naar KadastraleKaart Pro
Ycwb0tvUUpgrade naar KadastraleKaart Pro
Sg7C aLtu6UViUpgrade naar KadastraleKaart Pro
TT1Sdlf jo 4E9QTy 5BUpgrade naar KadastraleKaart Pro
Hx835FtQM8RNxO2BUpgrade naar KadastraleKaart Pro
9 s43A9kjgCfKUpgrade naar KadastraleKaart Pro
PvOugd8Fe90Z3Ow8oEUpgrade naar KadastraleKaart Pro
PsDcUor8psV6cm 27Upgrade naar KadastraleKaart Pro
24/06/2010

Percelen
Gebruik de zoekbalk of klik op een perceel om informatie over het perceel te bekijken.