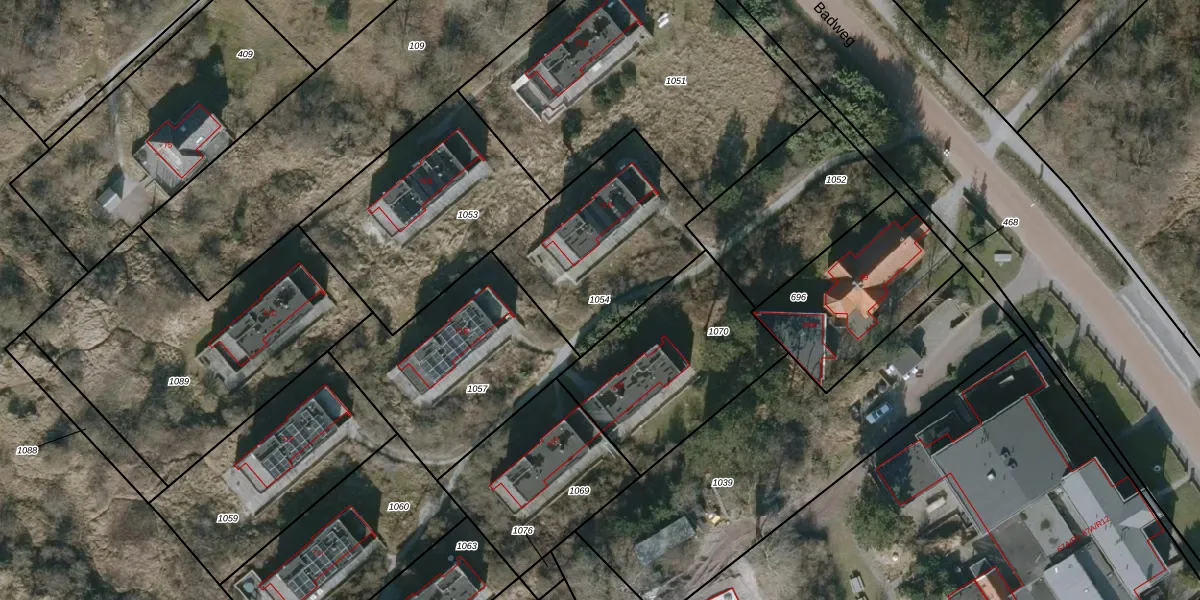
Perceel: SMN01-A-1054
KadastraleKaart.com kan meer dan je denktOntdek meer ›
Filter op bestemming 50+ datasets Eigendomsdata in één klik Percelen CRM
706 m2 - 109 m
Eigenaar opvragen
SMN01-A-1054 (Schiermonnikoog)
- 9166 NG
heNZnDeIBYnoQB4cN3sEs ZcB2be27bUpgrade naar KadastraleKaart Pro
Bekijk op Street View
Download DWG/DXF/Excel
xbj jR8ATF8WmrRp5 6YBPWUpgrade naar KadastraleKaart Pro
kLRsh5BY7f0wurig nr Upgrade naar KadastraleKaart Pro
pH w 7roPjUpgrade naar KadastraleKaart Pro
N l9jfh bPfi PUpgrade naar KadastraleKaart Pro
ZqVhoNzwE9fZxrM BUpgrade naar KadastraleKaart Pro
22TsxDV0F P30fkr9g0TD6mUpgrade naar KadastraleKaart Pro
hu XfszWvuE1 6HemdXHxUpgrade naar KadastraleKaart Pro
AUSkBOveWYIdZyuw2aUpgrade naar KadastraleKaart Pro
5 wX Bj 2 3 pQSmvJUpgrade naar KadastraleKaart Pro
MzuN WNfdxoCZO0xyUpgrade naar KadastraleKaart Pro
17/10/2013

Percelen
Gebruik de zoekbalk of klik op een perceel om informatie over het perceel te bekijken.